Log In/Sign Up
Your email has been sent.
Investment Highlights
- UNINCORPORATED LOS ANGELES COUNTY location. Torrance.
- 100% Affordable housing site with an unlimited density bonus, HOZ HIGH, TOD, EXCELLENT TCAC points
- Ideal 39 unit BY RIGHT townhomes development site
Executive Summary
Unincorporated Los Angeles County location.
Torrance.
The property is located within West Carson TOD SP and is zoned MU1.
Click the following link for a list of uses under the current zoning
22.414.100 – Mixed Use Zones
https://library.municode.com/ca/los_angeles_county/codes/code_of_ordinances?nodeId=TIT22PLZO_DIV11SPPL_CH22.414WECATRIEDISPPL_22.414.100MIUSZO
Ideal urban infill for townhomes
Should yield up to 39 units under the South Bay Area Plan (buyer to verify)
Or...
Ideal 100% affordable housing development opportunity,
HOZ = HIGH
Transit Oriented District TOD, with excellent TCAC points.
Three Hundred (300) feet from HARBOR CULA MEDICAL CENTER COUNTY OF LOS ANGELES.
HIGH RESOURCE in 2026
Excellent TCAC points.
Torrance.
The property is located within West Carson TOD SP and is zoned MU1.
Click the following link for a list of uses under the current zoning
22.414.100 – Mixed Use Zones
https://library.municode.com/ca/los_angeles_county/codes/code_of_ordinances?nodeId=TIT22PLZO_DIV11SPPL_CH22.414WECATRIEDISPPL_22.414.100MIUSZO
Ideal urban infill for townhomes
Should yield up to 39 units under the South Bay Area Plan (buyer to verify)
Or...
Ideal 100% affordable housing development opportunity,
HOZ = HIGH
Transit Oriented District TOD, with excellent TCAC points.
Three Hundred (300) feet from HARBOR CULA MEDICAL CENTER COUNTY OF LOS ANGELES.
HIGH RESOURCE in 2026
Excellent TCAC points.
Property Facts
Sale Type
Investment or Owner User
Sale Conditions
Property Type
Office
Property Subtype
Medical
Building Size
3,490 SF
Building Class
C
Year Built
1970
Price
$3,400,000
Price Per SF
$974.21
Tenancy
Single
Building Height
1 Story
Typical Floor Size
3,490 SF
Building FAR
0.10
Lot Size
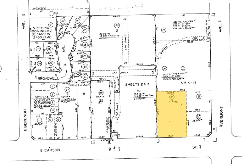
0.79 AC
Zoning
WEST CARSON TOD SPECIFIC - visit https://library.municode.com/ca/los_angeles_county/codes/code_of_ordinances?nodeId=TIT22PLZO_DIV11SPPL_CH22.414WECATRIEDISPPL_22.414.100MIUSZO
Parking
70 Spaces (20.06 Spaces per 1,000 SF Leased)
Very walkable
80/100
Exceptionally drivable
100/100
Good public transit
60/100
Fairly bikeable
50/100
Property Taxes
| Parcel Number | 7345-010-021 | Improvements Assessment | $933,018 |
| Land Assessment | $1,934,307 | Total Assessment | $2,867,325 |
Property Taxes
Parcel Number
7345-010-021
Land Assessment
$1,934,307
Improvements Assessment
$933,018
Total Assessment
$2,867,325
1 of 13
Videos
Matterport 3D Exterior
Matterport 3D Tour
Photos
Street View
Street
Map
Presented by
923 W Carson St
Already a member? Log In
Hmm, there seems to have been an error sending your message. Please try again.
Thanks! Your message was sent.




