Log In/Sign Up
Your email has been sent.
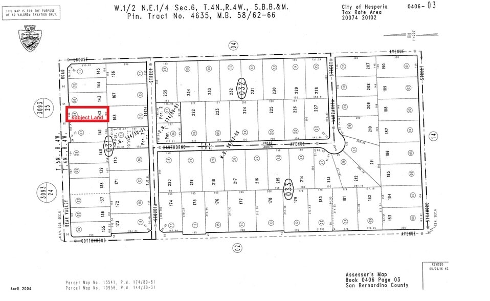
Bear Valley Rd - PRIME COMMERCIAL LAND NEAR I-15 FREEWAY 0.71 Acres of Commercial Land Offered at $350,000 in Hesperia, CA 92345



EXECUTIVE SUMMARY
LOCATION, LOCATION, & LOCATION!! About 30,740 square feet or 0.70 of an acres of land located only 0.47 mile east from the busy Bear Valley Rd exit. About 107 feet of Bear Valley Rd frontage and 291 feet deep. All utilities including water, power, and sewer on Bear Valley Rd in front of the land. Surrounded by all major anchor type establishments including Baker’s Drive Thru, Smart & Final, Dunkin Donuts, Arby’s, Skechers Warehouse Outlet, Jiffy Lube, Home Depot, Wiener schnitzel, 76 gas station, Big Brand Tire & Service, A1 Teriyaki, Dutch Bros, Starbucks, H&R Block and EL Super Shopping Complex. Huge 115,000 daily traffic counts and near signalized corner. STRATEGIC LOCATION!! Subject land is only a very few buildable lots that are left to develop near the freeway exit on Bear Valley Rd. An excellent opportunity to build any General Commercial or Retail type of businesses.
PROPERTY FACTS
1 LOT AVAILABLE
Lot
| Price | $350,000 | Lot Size | 0.71 AC |
| Price Per AC | $492,957.75 |
| Price | $350,000 |
| Price Per AC | $492,957.75 |
| Lot Size | 0.71 AC |
Level with Street
PROPERTY TAXES
| Parcel Number | 0406-031-08 | Improvements Assessment | $0 |
| Land Assessment | $180,280 | Total Assessment | $180,280 |
PROPERTY TAXES
Parcel Number
0406-031-08
Land Assessment
$180,280
Improvements Assessment
$0
Total Assessment
$180,280
1 of 15
VIDEOS
MATTERPORT 3D EXTERIOR
MATTERPORT 3D TOUR
PHOTOS
STREET VIEW
STREET
MAP
Presented by
Bear Valley Rd - PRIME COMMERCIAL LAND NEAR I-15 FREEWAY
Already a member? Log In
Hmm, there seems to have been an error sending your message. Please try again.
Thanks! Your message was sent.

