Log In/Sign Up
Enter your email to login or create a free account
This feature is unavailable at the moment.
We apologize, but the feature you are trying to access is currently unavailable. We are aware of this issue and our team is working hard to resolve the matter.
Please check back in a few minutes. We apologize for the inconvenience.
- LoopNet Team
This Land Property is no longer advertised on LoopNet.com.
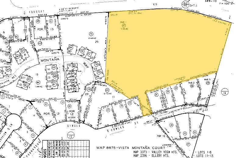
Fowles St
Oceanside, CA 92054
SW Foussat Rd / NE Fowles St · Land For Sale
·
7.35 AC

Property Facts
| Property Type | Land | Proposed Use | Single Family Development |
| Property Subtype | Residential | Total Lot Size | 7.35 AC |
| Zoning | RS - Residential | ||
| Property Type | Land |
| Property Subtype | Residential |
| Proposed Use | Single Family Development |
| Total Lot Size | 7.35 AC |
| Zoning | RS - Residential |
Property Taxes
| Parcel Number | 149-100-47 | Improvements Assessment | $0 |
| Land Assessment | $800,423 | Total Assessment | $800,423 |
Property Taxes
Parcel Number
149-100-47
Land Assessment
$800,423
Improvements Assessment
$0
Total Assessment
$800,423
Listing ID: 36513227
Date on Market: 6/27/2025
Last Updated:
Address: Fowles St, Oceanside, CA 92054
The Loma Alta Land Property at Fowles St, Oceanside, CA 92054 is no longer being advertised on LoopNet.com. Contact the broker for information on availability.
NEARBY LISTINGS
- 515 Oceanside Blvd, Oceanside CA
- 2102 S Nevada St, Oceanside CA
- 215-217 S Myers St, Oceanside CA
- Capistrano Drive, Oceanside CA
- 3050 Pio Pico Dr, Carlsbad CA
- Hoover Street, Carlsbad CA
- 571-575 Crouch St, Oceanside CA
- El Camino Real & Kelly Dr, Carlsbad CA
- 00 Oceanside Blvd, Oceanside CA
- 1009 N Coast Hwy, Oceanside CA
- Highway 76, Oceanside CA
1 of 1
Videos
Matterport 3D Exterior
Matterport 3D Tour
Photos
Street View
Street
Map

Link copied
Your LoopNet account has been created!
Thank you for your feedback.
Please Share Your Feedback
We welcome any feedback on how we can improve LoopNet to better serve your needs.X
{{ getErrorText(feedbackForm.starRating, "rating") }}
255 character limit ({{ remainingChars() }} charactercharacters remainingover)
{{ getErrorText(feedbackForm.msg, "rating") }}
{{ getErrorText(feedbackForm.fname, "first name") }}
{{ getErrorText(feedbackForm.lname, "last name") }}
{{ getErrorText(feedbackForm.phone, "phone number") }}
{{ getErrorText(feedbackForm.phonex, "phone extension") }}
{{ getErrorText(feedbackForm.email, "email address") }}
You can provide feedback any time using the Help button at the top of the page.