White Tail Dr | Boerne, TX 78006
This feature is unavailable at the moment.
We apologize, but the feature you are trying to access is currently unavailable. We are aware of this issue and our team is working hard to resolve the matter.
Please check back in a few minutes. We apologize for the inconvenience.
- LoopNet Team
This Land Property is no longer advertised on LoopNet.com.
White Tail Dr
Boerne, TX 78006
Fairway Townhomes · Land For Sale
·
10.03 AC

INVESTMENT HIGHLIGHTS
- Located on the golf course between two fairways
- 3rd best school district in the country
- Secluded hill country and golf course views
- Retirement Community
- Short golf cart ride through the golf course to resort and restaurant
- 30 minutes from San Antonio
PROPERTY FACTS
| Property Type | Land | Proposed Use |
Commercial
|
| Property Subtype | Commercial | Total Lot Size | 10.03 AC |
| Zoning | Townhome Development - Townhome Development | ||
| Property Type | Land |
| Property Subtype | Commercial |
| Proposed Use |
Commercial
|
| Total Lot Size | 10.03 AC |
| Zoning | Townhome Development - Townhome Development |
DESCRIPTION
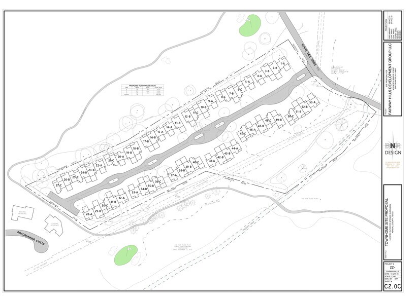
Located on the George Strait owned golf course of Tapatio Springs golf resort between fairways 13 and 14 this property was originally two separate parcels of land of just over 7.5 acres and 2.5 acres, now owned by Fairway Properties the property is now approved for 53 townhome units to be developed.
LINKS
PROPERTY TAXES
| Parcel Numbers |
Multiple
|
Improvements Assessment | $0 |
| Land Assessment | $191,730 | Total Assessment | $191,730 |
PROPERTY TAXES
Parcel Numbers
Multiple
- 305599
- 42724
Land Assessment
$191,730
Improvements Assessment
$0
Total Assessment
$191,730
Listing ID: 24319582
Date on Market: 10/18/2021
Last Updated:
Address: White Tail Dr, Boerne, TX 78006
The Land Property at White Tail Dr, Boerne, TX 78006 is no longer being advertised on LoopNet.com. Contact the broker for information on availability.
LAND PROPERTIES IN NEARBY NEIGHBORHOODS
NEARBY LISTINGS
- 10205 Johns Rd, Boerne TX
- 105, 109, 113 TX-46, Boerne TX
- 21-23 Coughran Rd, Boerne TX
- 36432 IH 10 W, Boerne TX
- TBD Ogrady st, Boerne TX
- 1286 N Main St, Boerne TX
- 536 S School St, Boerne TX
- 101 Switchback Trail, Boerne TX
- 652 S School St, Boerne TX
- 24 Winsbrook Dr, Boerne TX
- 640-670 S School St, Boerne TX
- 12 State Highway 46, Boerne TX
- 606 School St, Boerne TX
- 602 School St, Boerne TX
- 546 School St, Boerne TX
1 of 1
VIDEOS
MATTERPORT 3D EXTERIOR
MATTERPORT 3D TOUR
PHOTOS
STREET VIEW
STREET
MAP

Link copied
Your LoopNet account has been created!
Thank you for your feedback.
Please Share Your Feedback
We welcome any feedback on how we can improve LoopNet to better serve your needs.X
{{ getErrorText(feedbackForm.starRating, "rating") }}
255 character limit ({{ remainingChars() }} charactercharacters remainingover)
{{ getErrorText(feedbackForm.msg, "rating") }}
{{ getErrorText(feedbackForm.fname, "first name") }}
{{ getErrorText(feedbackForm.lname, "last name") }}
{{ getErrorText(feedbackForm.phone, "phone number") }}
{{ getErrorText(feedbackForm.phonex, "phone extension") }}
{{ getErrorText(feedbackForm.email, "email address") }}
You can provide feedback any time using the Help button at the top of the page.