Log In/Sign Up
Your email has been sent.
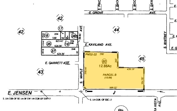
S Maple & E Jensen Ave
Fresno, CA 93725
Land For Sale
·
2.86 AC


EXECUTIVE SUMMARY
Sale of acreage for the north portion of this project we’ve got approved to do 151 units. The apartments will take up 2.86+/- acres, 166,000 sf gross, 137,811
sf net with 33 studios, 590 sf each, 53 - 1 bedrooms 847 sf each and 65 – 2 bedrooms 1,130 sf each with a swimming pool. There will be
223 parking spaces of which 153 are covered & 70 are open
sf net with 33 studios, 590 sf each, 53 - 1 bedrooms 847 sf each and 65 – 2 bedrooms 1,130 sf each with a swimming pool. There will be
223 parking spaces of which 153 are covered & 70 are open
PROPERTY FACTS
| Sale Type | Investment | Property Subtype | Residential |
| Sale Condition | Redevelopment Project | Proposed Use | Multifamily |
| No. Lots | 1 | Total Lot Size | 2.86 AC |
| Property Type | Land | Opportunity Zone |
Yes
|
| Zoning | C-2 - Commercial mixed use | ||
| Sale Type | Investment |
| Sale Condition | Redevelopment Project |
| No. Lots | 1 |
| Property Type | Land |
| Property Subtype | Residential |
| Proposed Use | Multifamily |
| Total Lot Size | 2.86 AC |
| Opportunity Zone |
Yes |
| Zoning | C-2 - Commercial mixed use |
1 LOT AVAILABLE
Lot
| Lot Size | 2.86 AC |
| Lot Size | 2.86 AC |
The entire site consists of 12.18+/- acres. Arco under construction on the hard corner, then in escrow with Burger King to the immediate east. Then a vacant pad site. Then there is the eastbound left turn pocket. Then Starbucks in a multi tenant pad
1 of 3
VIDEOS
MATTERPORT 3D EXTERIOR
MATTERPORT 3D TOUR
PHOTOS
STREET VIEW
STREET
MAP
