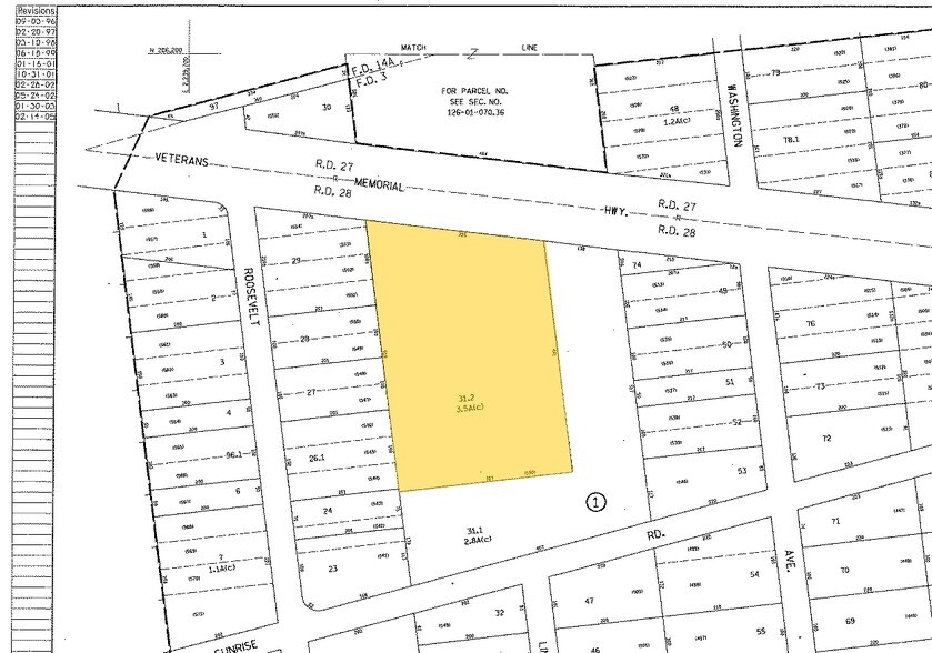
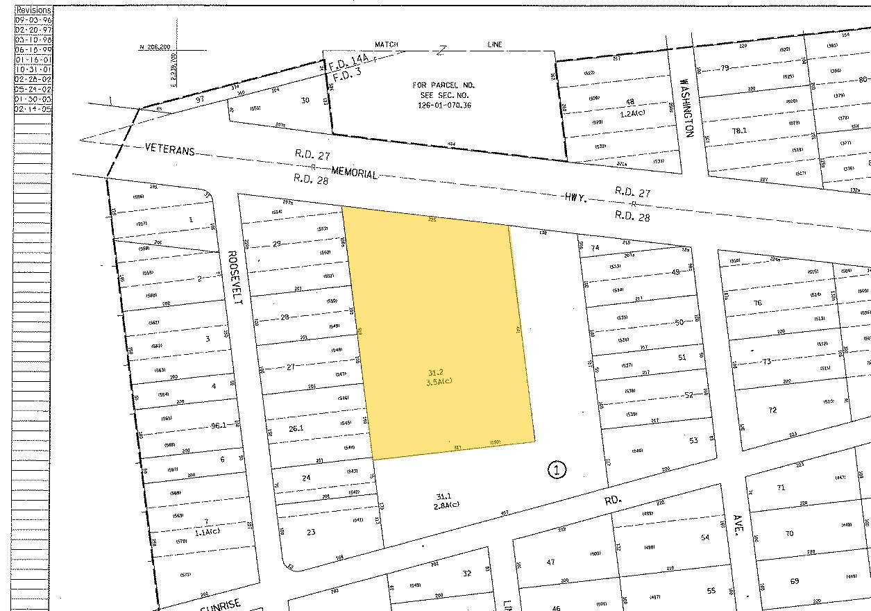
3300 Veterans Memorial Hwy | Bohemia, NY 11716
This feature is unavailable at the moment.
We apologize, but the feature you are trying to access is currently unavailable. We are aware of this issue and our team is working hard to resolve the matter.
Please check back in a few minutes. We apologize for the inconvenience.
- LoopNet Team
This Industrial Property is no longer advertised on LoopNet.com.
3300 Veterans Memorial Hwy
Bohemia, NY 11716
Industrial Property For Sale

PROPERTY FACTS
| Property Type | Industrial | Year Built | 1966 |
| Property Subtype | Warehouse | Parking Ratio | 4.23/1,000 SF |
| Building Class | B | Clear Ceiling Height | 26’ |
| Lot Size | 6.52 AC | No. Dock-High Doors/Loading | 6 |
| Rentable Building Area | 42,150 SF | No. Drive In / Grade-Level Doors | 6 |
| No. Stories | 2 | ||
| Zoning | Ind 1/ICD | ||
| Property Type | Industrial |
| Property Subtype | Warehouse |
| Building Class | B |
| Lot Size | 6.52 AC |
| Rentable Building Area | 42,150 SF |
| No. Stories | 2 |
| Year Built | 1966 |
| Parking Ratio | 4.23/1,000 SF |
| Clear Ceiling Height | 26’ |
| No. Dock-High Doors/Loading | 6 |
| No. Drive In / Grade-Level Doors | 6 |
| Zoning | Ind 1/ICD |
AMENITIES
- Fenced Lot
UTILITIES
- Lighting
- Water
- Heating - Gas
PROPERTY TAXES
| Parcel Numbers |
Multiple
|
Improvements Assessment | $222,000 |
| Land Assessment | $228,000 | Total Assessment | $450,000 |
PROPERTY TAXES
Parcel Numbers
Multiple
- 0500-147-00-01-00-074-000
- 0500-147-00-01-00-031-001
- 0500-147-00-01-00-031-002
Land Assessment
$228,000
Improvements Assessment
$222,000
Total Assessment
$450,000
Listing ID: 11628635
Date on Market: 2/16/2018
Last Updated:
Address: 3300 Veterans Memorial Hwy, Bohemia, NY 11716
The Industrial Property at 3300 Veterans Memorial Hwy, Bohemia, NY 11716 is no longer being advertised on LoopNet.com. Contact the broker for information on availability.
INDUSTRIAL PROPERTIES IN NEARBY NEIGHBORHOODS
NEARBY LISTINGS
- 1722 Church St, Holbrook NY
- 2231 Fifth Ave, Ronkonkoma NY
- 61 Brightside Ave, Central Islip NY
- 1687 Roosevelt Ave, Bohemia NY
- 45 Orville Dr, Bohemia NY
- 840 S 1st St, Ronkonkoma NY
- 30 Crossways E, Bohemia NY
- 767 Smithtown Byp, Smithtown NY
- 3175 Veterans Memorial Hwy, Bohemia NY
- 181-191 Remington Blvd, Ronkonkoma NY
- 1531-1563 Lincoln Ave, Holbrook NY
- 710 Union Pky, Ronkonkoma NY
- 100-122 Keyland Ct, Bohemia NY
- 90 Knickerbocker Ave, Bohemia NY
1 of 1
VIDEOS
MATTERPORT 3D EXTERIOR
MATTERPORT 3D TOUR
PHOTOS
STREET VIEW
STREET
MAP

Link copied
Your LoopNet account has been created!
Thank you for your feedback.
Please Share Your Feedback
We welcome any feedback on how we can improve LoopNet to better serve your needs.X
{{ getErrorText(feedbackForm.starRating, "rating") }}
255 character limit ({{ remainingChars() }} charactercharacters remainingover)
{{ getErrorText(feedbackForm.msg, "rating") }}
{{ getErrorText(feedbackForm.fname, "first name") }}
{{ getErrorText(feedbackForm.lname, "last name") }}
{{ getErrorText(feedbackForm.phone, "phone number") }}
{{ getErrorText(feedbackForm.phonex, "phone extension") }}
{{ getErrorText(feedbackForm.email, "email address") }}
You can provide feedback any time using the Help button at the top of the page.