Property Record
This page contains information about the property located at 1045 Cimarron Dr, Lafayette, CO, 80026.

1045 Cimarron Dr, Lafayette, CO 80026

Property Detail

Information for the property located at 1045 Cimarron Dr Lafayette, CO includes data gathered from BOULDER County tax records, public records data providers and LoopNet historical data records.
1045 Cimarron Dr
Boulder, CO
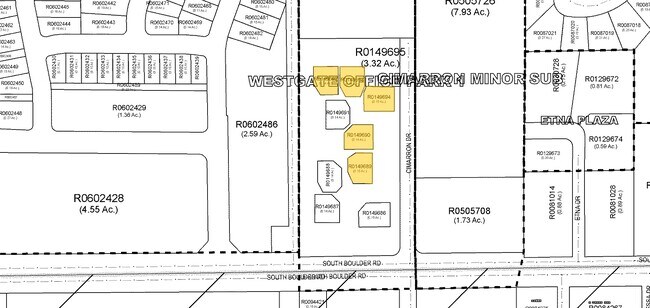
LOT 9 BLK 1 WESTGATE OFFICE PARK 1
1575044-26-009
BOULDER
Commercialacreage
Colorado
B and X Area of moderate flood hazard, usually the area between the limits of the 100-year and 500-year floods.
9
0
0.16 AC
2025
Boulder County
012905
Denver

NEARBY LISTINGS FOR SALE OR LEASE

DEMOGRAPHICS near 1045 Cimarron Dr

1 mile
3 mile
5 mile
2025 Total Population
11,798
56,978
119,278
2030 Population
11,717
57,098
121,432
Pop Growth 2025-2030
(0.69%)
+ 0.21%
+ 1.81%
Average Age
42
41
41
2025 Total Households
4,943
22,891
47,061
HH Growth 2025-2030
(0.73%)
+ 0.27%
+ 2.02%
Median Household Inc
$119,687
$118,206
$124,853
Avg Household Size
2.30
2.40
2.50
2025 Avg HH Vehicles
2.00
2.00
2.00
Median Home Value
$759,658
$789,866
$790,649
Median Year Built
1991
1992
1997

Nearby Places

Map Layers
Map Styles
Street
Aerial
Layers
Transit
Traffic
Biking
Places
Listings with unknown addresses are not visible on the map

PUBLIC TRANSPORTATION

AIRPORT
Denver International
Drive
Walk
Distance
Denver International
40 min
33.7 mi

SALE & LEASE HISTORY

LoopNet.com has seen the following sale and lease activity for the property located at 1045 Cimarron Dr, Lafayette, CO
 
LISTING DATE
SALE/LEASE
Aug 19, 2024
For Sale

Nearby Properties

Address
Land Use
TOTAL SIZE
Lot Size
Zoning
Address
Land Use
TOTAL SIZE
Lot Size
Zoning
420,330 SF
41.96 AC
A
Address
Land Use
TOTAL SIZE
Lot Size
Zoning
Address
Land Use
TOTAL SIZE
Lot Size
Zoning
Address
Land Use
TOTAL SIZE
Lot Size
Zoning
188,092 SF
2.01 AC
Address
Land Use
TOTAL SIZE
Lot Size
Zoning
Address
Land Use
TOTAL SIZE
Lot Size
Zoning
Address
Land Use
TOTAL SIZE
Lot Size
Zoning
120,510 SF
11.02 AC
Address
Land Use
TOTAL SIZE
Lot Size
Zoning
153,430 SF
12.16 AC
Address
Land Use
TOTAL SIZE
Lot Size
Zoning
137,435 SF
9.49 AC
Address
Land Use
TOTAL SIZE
Lot Size
Zoning
214,678 SF
10.46 AC
Address
Land Use
TOTAL SIZE
Lot Size
Zoning
113,473 SF
8.59 AC
Address
Land Use
TOTAL SIZE
Lot Size
Zoning
165,172 SF
11.12 AC
Address
Land Use
TOTAL SIZE
Lot Size
Zoning
446,461 SF
18.19 AC
B-PUD
Address
Land Use
TOTAL SIZE
Lot Size
Zoning
164,842 SF
10.97 AC
Address
Land Use
TOTAL SIZE
Lot Size
Zoning
Address
Land Use
TOTAL SIZE
Lot Size
Zoning
109,056 SF
7.76 AC
Address
Land Use
TOTAL SIZE
Lot Size
Zoning
Address
Land Use
TOTAL SIZE
Lot Size
Zoning
67,551 SF
4.27 AC
Address
Land Use
TOTAL SIZE
Lot Size
Zoning
130,348 SF
8.88 AC
Address
Land Use
TOTAL SIZE
Lot Size
Zoning
Address
Land Use
TOTAL SIZE
Lot Size
Zoning
136,448 SF
10.86 AC
Address
Land Use
TOTAL SIZE
Lot Size
Zoning
247,609 SF
14.53 AC
Address
Land Use
TOTAL SIZE
Lot Size
Zoning
Address
Land Use
TOTAL SIZE
Lot Size
Zoning
Address
Land Use
TOTAL SIZE
Lot Size
Zoning
308,482 SF
16.27 AC
B-PUD
Address
Land Use
TOTAL SIZE
Lot Size
Zoning
109,547 SF
7.91 AC
Address
Land Use
TOTAL SIZE
Lot Size
Zoning
273,678 SF
10.79 AC
Address
Land Use
TOTAL SIZE
Lot Size
Zoning
Address
Land Use
TOTAL SIZE
Lot Size
Zoning
107,468 SF
15.29 AC
Address
Land Use
TOTAL SIZE
Lot Size
Zoning
79,980 SF
10.02 AC
See More See Less

The World's #1 Commercial Real Estate Marketplace

What is a Walk Score®, Transit Score® & Bike Score®?
Walk Score® measures the walkability of any address.
Transit Score® measures access to public transit.
Bike Score® measures bikeability of a location.
What is a Walk Score®
, Transit Score® & Bike Score?
Walk Score® measures the walkability
of any address. Transit Score®
measures access to public transit. Bike Score®
measures bikeability of a location.®