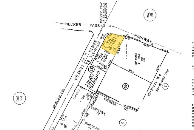
Property Record
1490 1St St, Gilroy, CA 95020
Property Detail
1490 1St St
San Jose-Sunnyvale-Santa Clara, CA
LOT 2
808-01-023
SANTA CLARA
Residentialacreage
California
C-3
2
C and X Area of minimal flood hazard, usually depicted on FIRMs as above the 500-year flood level.
1.25 AC
2024
Gilroy
2025
South Bay/San Jose
512510
NEARBY LISTINGS FOR SALE OR LEASE
DEMOGRAPHICS near 1490 1St St
1 mile
3 mile
5 mile
2025 Total Population
18,765
61,312
67,993
2030 Population
19,271
62,633
69,202
Pop Growth 2025-2030
+ 2.70%
+ 2.15%
+ 1.78%
Average Age
40
38
39
2025 Total Households
5,990
17,950
19,963
HH Growth 2025-2030
+ 2.74%
+ 2.17%
+ 1.76%
Median Household Inc
$123,151
$127,604
$129,687
Avg Household Size
3.10
3.30
3.30
2025 Avg HH Vehicles
2.00
2.00
2.00
Median Home Value
$960,033
$982,974
$1,005,473
Median Year Built
1988
1989
1987
Nearby Places
Map Layers
Listings with unknown addresses are not visible on the map
- Restaurants
- Banks
- Shops
- Fitness
- Groceries
PUBLIC TRANSPORTATION
COMMUTER RAIL
Drive
Walk
Distance
5 min
2.4 mi
Drive
Walk
Distance
10 min
5.8 mi
AIRPORT
Norman Y Mineta San Jose International
Drive
Walk
Distance
Norman Y Mineta San Jose International
46 min
36.5 mi
Monterey Regional
Drive
Walk
Distance
Monterey Regional
54 min
43.1 mi
Freight Ports
Port of Redwood City
Drive
Walk
Distance
Port of Redwood City
67 min
54.6 mi
Nearby Properties
Address
Land Use
TOTAL SIZE
Lot Size
Zoning
Address
Land Use
TOTAL SIZE
Lot Size
Zoning
270,205 SF
6.65 AC
M2
Address
Land Use
TOTAL SIZE
Lot Size
Zoning
171,339 SF
16.43 AC
C3
Address
Land Use
TOTAL SIZE
Lot Size
Zoning
133,498 SF
12.16 AC
C3
Address
Land Use
TOTAL SIZE
Lot Size
Zoning
156,290 SF
5.87 AC
APD
Address
Land Use
TOTAL SIZE
Lot Size
Zoning
113,883 SF
9.63 AC
C1
Address
Land Use
TOTAL SIZE
Lot Size
Zoning
103,974 SF
3.90 AC
R4
Address
Land Use
TOTAL SIZE
Lot Size
Zoning
172,348 SF
9.58 AC
A140
Address
Land Use
TOTAL SIZE
Lot Size
Zoning
94,345 SF
10.68 AC
C1
Address
Land Use
TOTAL SIZE
Lot Size
Zoning
219,622 SF
19.80 AC
A1-25
Address
Land Use
TOTAL SIZE
Lot Size
Zoning
102,915 SF
3.81 AC
R3
Address
Land Use
TOTAL SIZE
Lot Size
Zoning
43,973 SF
3.38 AC
R3
Address
Land Use
TOTAL SIZE
Lot Size
Zoning
56.33 AC
M2
Address
Land Use
TOTAL SIZE
Lot Size
Zoning
142,684 SF
4.94 AC
CD
Address
Land Use
TOTAL SIZE
Lot Size
Zoning
123,268 SF
7.62 AC
R3
Address
Land Use
TOTAL SIZE
Lot Size
Zoning
64,893 SF
4.32 AC
R3
Address
Land Use
TOTAL SIZE
Lot Size
Zoning
72,159 SF
4.16 AC
R3
Address
Land Use
TOTAL SIZE
Lot Size
Zoning
148,663 SF
14.79 AC
PUD
Address
Land Use
TOTAL SIZE
Lot Size
Zoning
4,853 SF
11.59 AC
HC
Address
Land Use
TOTAL SIZE
Lot Size
Zoning
32,727 SF
1.82 AC
M2
Address
Land Use
TOTAL SIZE
Lot Size
Zoning
129,000 SF
6.84 AC
MULIT
Address
Land Use
TOTAL SIZE
Lot Size
Zoning
2.94 AC
A140
Address
Land Use
TOTAL SIZE
Lot Size
Zoning
3.43 AC
APD
Address
Land Use
TOTAL SIZE
Lot Size
Zoning
63,560 SF
7.63 AC
A1-25
Address
Land Use
TOTAL SIZE
Lot Size
Zoning
123,709 SF
9.26 AC
M2
Address
Land Use
TOTAL SIZE
Lot Size
Zoning
126,503 SF
4.61 AC
MI
Address
Land Use
TOTAL SIZE
Lot Size
Zoning
20,140.41 AC
SJ
Address
Land Use
TOTAL SIZE
Lot Size
Zoning
70,209 SF
5.40 AC
COM
Address
Land Use
TOTAL SIZE
Lot Size
Zoning
163,200 SF
8.62 AC
M-2
Address
Land Use
TOTAL SIZE
Lot Size
Zoning
1.51 AC
CM
Address
Land Use
TOTAL SIZE
Lot Size
Zoning
96,524 SF
5 AC
R3






