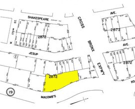
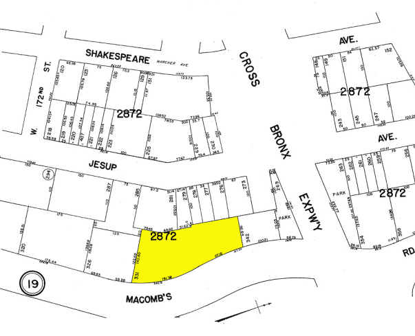
Property Record
1515 Macombs Rd, Bronx, NY 10452
Property Detail
1515 Macombs Rd
02872-0331
Bronx
Apartment
New York
R7-1
331
B and X Area of moderate flood hazard, usually the area between the limits of the 100-year and 500-year floods.
0.71 AC
2025
Mount Eden
2026
Westchester/So Connecticut
021302
New York-Jersey City-White Plains, NY-NJ
111,875 SF
NEARBY LISTINGS FOR SALE OR LEASE
DEMOGRAPHICS near 1515 Macombs Rd
1 mile
3 mile
5 mile
2025 Total Population
250,272
1,304,342
2,242,205
2030 Population
248,559
1,311,475
2,248,941
Pop Growth 2025-2030
(0.68%)
+ 0.55%
+ 0.30%
Average Age
38
39
40
2025 Total Households
82,548
473,911
848,021
HH Growth 2025-2030
(1.12%)
+ 0.62%
+ 0.47%
Median Household Inc
$39,244
$46,070
$57,511
Avg Household Size
2.80
2.60
2.50
2025 Avg HH Vehicles
.00
.00
.00
Median Home Value
$441,329
$486,797
$670,975
Median Year Built
1948
1950
1952
Nearby Places
Map Layers
Listings with unknown addresses are not visible on the map
- Restaurants
- Banks
- Shops
- Fitness
- Groceries
PUBLIC TRANSPORTATION
TRANSIT/SUBWAY
Mt Eden Avenue (4 - New York MTA Subway (The Subway))
Drive
Walk
Distance
Mt Eden Avenue (4 - New York MTA Subway (The Subway))
1 min
4 min
0.2 mi
170 Street (4 Line) (4 - New York MTA Subway (The Subway))
Drive
Walk
Distance
170 Street (4 Line) (4 - New York MTA Subway (The Subway))
1 min
6 min
0.3 mi
176 Street (4 - New York MTA Subway (The Subway))
Drive
Walk
Distance
176 Street (4 - New York MTA Subway (The Subway))
1 min
10 min
0.5 mi
170 Street (B,D Line) (B - New York MTA Subway (The Subway), D - New York MTA Subway (The Subway))
Drive
Walk
Distance
170 Street (B,D Line) (B - New York MTA Subway (The Subway), D - New York MTA Subway (The Subway))
2 min
10 min
0.5 mi
174-175 Streets (B - New York MTA Subway (The Subway), D - New York MTA Subway (The Subway))
Drive
Walk
Distance
174-175 Streets (B - New York MTA Subway (The Subway), D - New York MTA Subway (The Subway))
2 min
11 min
0.5 mi
COMMUTER RAIL
Morris Heights Station (Hudson Line - Metro-North Commuter Railroad Company (Metro-North))
Drive
Walk
Distance
Morris Heights Station (Hudson Line - Metro-North Commuter Railroad Company (Metro-North))
5 min
17 min
0.9 mi
Tremont Station (Harlem Line - Metro-North Commuter Railroad Company (Metro-North))
Drive
Walk
Distance
Tremont Station (Harlem Line - Metro-North Commuter Railroad Company (Metro-North))
4 min
1.4 mi
AIRPORT
LaGuardia
Drive
Walk
Distance
LaGuardia
18 min
8.9 mi
John F Kennedy International
Drive
Walk
Distance
John F Kennedy International
28 min
19.6 mi
Newark Liberty International
Drive
Walk
Distance
Newark Liberty International
26 min
21.9 mi
Freight Ports
NY - Red Hook Container Terminal
Drive
Walk
Distance
NY - Red Hook Container Terminal
31 min
17.1 mi
Nearby Properties
Address
Land Use
TOTAL SIZE
Lot Size
Zoning
Address
Land Use
TOTAL SIZE
Lot Size
Zoning
1,290,000 SF
14.56 AC
PARK
Address
Land Use
TOTAL SIZE
Lot Size
Zoning
3,533,539 SF
8.37 AC
R8
Address
Land Use
TOTAL SIZE
Lot Size
Zoning
400,160 SF
10.96 AC
R7-2
Address
Land Use
TOTAL SIZE
Lot Size
Zoning
1,299,700 SF
29.82 AC
R6
Address
Land Use
TOTAL SIZE
Lot Size
Zoning
1,743,584 SF
77.87 AC
R6
Address
Land Use
TOTAL SIZE
Lot Size
Zoning
26.93 AC
R8
Address
Land Use
TOTAL SIZE
Lot Size
Zoning
2,278,432 SF
5.99 AC
R7-2
Address
Land Use
TOTAL SIZE
Lot Size
Zoning
24.08 AC
B2-A
Address
Land Use
TOTAL SIZE
Lot Size
Zoning
873,000 SF
9.95 AC
R7-2
Address
Land Use
TOTAL SIZE
Lot Size
Zoning
4.87 AC
R11
Address
Land Use
TOTAL SIZE
Lot Size
Zoning
1,651,267 SF
1.23 AC
R8
Address
Land Use
TOTAL SIZE
Lot Size
Zoning
Address
Land Use
TOTAL SIZE
Lot Size
Zoning
2.61 AC
D5
Address
Land Use
TOTAL SIZE
Lot Size
Zoning
481,172 SF
205.58 AC
PARK
Address
Land Use
TOTAL SIZE
Lot Size
Zoning
478,842 SF
3.56 AC
C6-1
Address
Land Use
TOTAL SIZE
Lot Size
Zoning
891,040 SF
5.63 AC
R8
Address
Land Use
TOTAL SIZE
Lot Size
Zoning
1,311,800 SF
9.89 AC
C4-4
Address
Land Use
TOTAL SIZE
Lot Size
Zoning
1,237,424 SF
21.25 AC
R6
Address
Land Use
TOTAL SIZE
Lot Size
Zoning
1,390,324 SF
6.87 AC
R8
Address
Land Use
TOTAL SIZE
Lot Size
Zoning
42.68 AC
P1
Address
Land Use
TOTAL SIZE
Lot Size
Zoning
807,327 SF
0.60 AC
R8
Address
Land Use
TOTAL SIZE
Lot Size
Zoning
2 AC
R11
Address
Land Use
TOTAL SIZE
Lot Size
Zoning
2.55 AC
D5
Address
Land Use
TOTAL SIZE
Lot Size
Zoning
2,531,670 SF
17.15 AC
R7-2
Address
Land Use
TOTAL SIZE
Lot Size
Zoning
390,750 SF
265 AC
PARK
Address
Land Use
TOTAL SIZE
Lot Size
Zoning
598,815 SF
1.64 AC
R8
Address
Land Use
TOTAL SIZE
Lot Size
Zoning
39 AC
P1
Address
Land Use
TOTAL SIZE
Lot Size
Zoning
5.87 AC
R10
Address
Land Use
TOTAL SIZE
Lot Size
Zoning
892,550 SF
2.93 AC
M13R8
Address
Land Use
TOTAL SIZE
Lot Size
Zoning
517,876 SF
1.83 AC
C6-1







