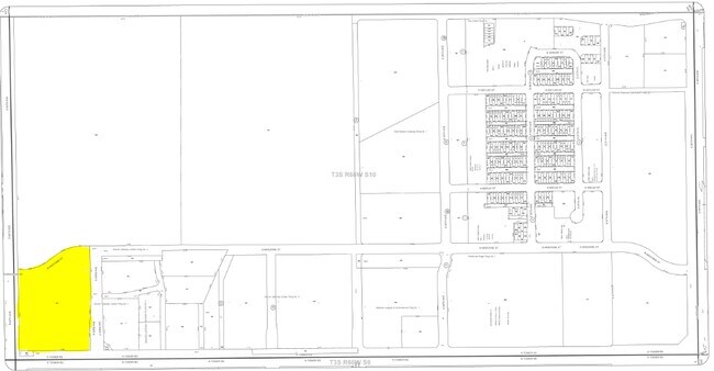
Property Record
This page contains information about the property located at 18591 E 61St Ave, Denver, CO, 80249.

18591 E 61St Ave, Denver, CO 80249

Property Detail

Information for the property located at 18591 E 61St Ave Denver, CO includes data gathered from DENVER County tax records, public records data providers and LoopNet historical data records.
18591 E 61St Ave
0102-15-001
DENVER GATEWAY CENTER FLG 4 B1 L1
Apartment
DENVER
C-MU-20
Colorado
B and X Area of moderate flood hazard, usually the area between the limits of the 100-year and 500-year floods.
1
2024
5.43 AC
2025
East I-70/Montbello
015800
Denver
145,327 SF
Denver-Aurora-Centennial, CO

NEARBY LISTINGS FOR SALE OR LEASE

DEMOGRAPHICS near 18591 E 61St Ave

1 mile
3 mile
5 mile
2025 Total Population
7,273
59,963
119,633
2030 Population
8,180
62,588
124,980
Pop Growth 2025-2030
+ 12.47%
+ 4.38%
+ 4.47%
Average Age
32
34
35
2025 Total Households
2,771
18,768
35,756
HH Growth 2025-2030
+ 12.63%
+ 4.77%
+ 4.77%
Median Household Inc
$85,689
$100,234
$100,007
Avg Household Size
2.60
3.10
3.20
2025 Avg HH Vehicles
2.00
2.00
2.00
Median Home Value
$404,762
$470,326
$465,761
Median Year Built
2010
2008
2003

Nearby Places

Map Layers
Map Styles
Street
Aerial
Layers
Transit
Traffic
Biking
Places
Listings with unknown addresses are not visible on the map

PUBLIC TRANSPORTATION

COMMUTER RAIL
61St & Pena Station Track 2 (Union Station to Denver Airport Station - Regional Transportation District)
Drive
Walk
Distance
61St & Pena Station Track 2 (Union Station to Denver Airport Station - Regional Transportation District)
2 min
16 min
0.8 mi
40Th Ave & Airport Blvd - Gateway Park Station Track 2 (Union Station to Denver Airport Station - Regional Transportation District)
Drive
Walk
Distance
40Th Ave & Airport Blvd - Gateway Park Station Track 2 (Union Station to Denver Airport Station - Regional Transportation District)
9 min
4.0 mi
AIRPORT
Denver International
Drive
Walk
Distance
Denver International
12 min
8.4 mi
Freight Ports
Tulsa Port Of Catoosa
Drive
Walk
Distance
Tulsa Port Of Catoosa
717 min
699.5 mi

SALE & LEASE HISTORY

LoopNet.com has seen the following sale and lease activity for the property located at 18591 E 61St Ave, Denver, CO
 
LISTING DATE
SALE/LEASE
Feb 26, 2019
For Sale

Nearby Properties

Address
Land Use
TOTAL SIZE
Lot Size
Zoning
Address
Land Use
TOTAL SIZE
Lot Size
Zoning
1,996,111 SF
73.07 AC
Address
Land Use
TOTAL SIZE
Lot Size
Zoning
1,214,982 SF
149.04 AC
I-MX-8
Address
Land Use
TOTAL SIZE
Lot Size
Zoning
258,315 SF
16.83 AC
Address
Land Use
TOTAL SIZE
Lot Size
Zoning
110,192 SF
2.95 AC
C-MU-30
Address
Land Use
TOTAL SIZE
Lot Size
Zoning
200,105 SF
34.54 AC
C-MU-20
Address
Land Use
TOTAL SIZE
Lot Size
Zoning
102,444 SF
3.76 AC
GTWY
Address
Land Use
TOTAL SIZE
Lot Size
Zoning
111,077 SF
3.06 AC
Address
Land Use
TOTAL SIZE
Lot Size
Zoning
550,031 SF
37.73 AC
Address
Land Use
TOTAL SIZE
Lot Size
Zoning
185,812 SF
20.93 AC
C-MU-20
Address
Land Use
TOTAL SIZE
Lot Size
Zoning
Address
Land Use
TOTAL SIZE
Lot Size
Zoning
108,548 SF
2.98 AC
C-MU-20
Address
Land Use
TOTAL SIZE
Lot Size
Zoning
134,052 SF
6.77 AC
C-MX
Address
Land Use
TOTAL SIZE
Lot Size
Zoning
512,720 SF
42.32 AC
Address
Land Use
TOTAL SIZE
Lot Size
Zoning
Address
Land Use
TOTAL SIZE
Lot Size
Zoning
55,590 SF
2.48 AC
GTWY
Address
Land Use
TOTAL SIZE
Lot Size
Zoning
500,358 SF
23.59 AC
Address
Land Use
TOTAL SIZE
Lot Size
Zoning
99,800 SF
4.03 AC
GTWY
Address
Land Use
TOTAL SIZE
Lot Size
Zoning
172,878 SF
2.46 AC
C-MU-20
Address
Land Use
TOTAL SIZE
Lot Size
Zoning
452,400 SF
20.99 AC
Address
Land Use
TOTAL SIZE
Lot Size
Zoning
71,229 SF
2.58 AC
C-MX
Address
Land Use
TOTAL SIZE
Lot Size
Zoning
419,630 SF
24.34 AC
Address
Land Use
TOTAL SIZE
Lot Size
Zoning
58,997 SF
2.05 AC
S-CC-5X
Address
Land Use
TOTAL SIZE
Lot Size
Zoning
217,995 SF
12.31 AC
S-SU-D
Address
Land Use
TOTAL SIZE
Lot Size
Zoning
92,598 SF
2.78 AC
G-TW
Address
Land Use
TOTAL SIZE
Lot Size
Zoning
Address
Land Use
TOTAL SIZE
Lot Size
Zoning
90,368 SF
2.86 AC
C-MX
Address
Land Use
TOTAL SIZE
Lot Size
Zoning
60,021 SF
1.86 AC
C-MU-10
Address
Land Use
TOTAL SIZE
Lot Size
Zoning
64,635 SF
2.06 AC
C-MX
Address
Land Use
TOTAL SIZE
Lot Size
Zoning
437,144 SF
11.58 AC
Address
Land Use
TOTAL SIZE
Lot Size
Zoning
347,840 SF
19.95 AC
See More See Less

The World's #1 Commercial Real Estate Marketplace

What is a Walk Score®, Transit Score® & Bike Score®?
Walk Score® measures the walkability of any address.
Transit Score® measures access to public transit.
Bike Score® measures bikeability of a location.
What is a Walk Score®
, Transit Score® & Bike Score?
Walk Score® measures the walkability
of any address. Transit Score®
measures access to public transit. Bike Score®
measures bikeability of a location.®