Property Record
20878 Sage Ln, Tehachapi, CA 93561
Property Detail
20878 Sage Ln
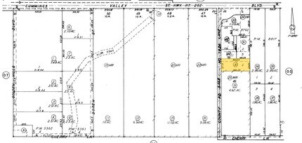
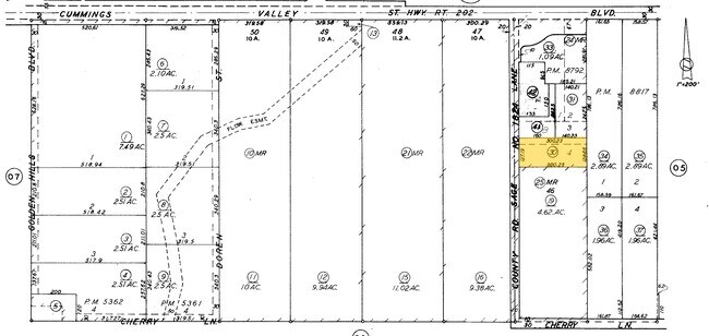
416-060-30-00-6
PARCEL MAP 8792 , LOT P
Medicalbuilding
Kern
C-2 PD
California
B and X Area of moderate flood hazard, usually the area between the limits of the 100-year and 500-year floods.
p
2024
0.90 AC
2025
SE Outlying Kern County
006012
Bakersfield
2,926 SF
Bakersfield-Delano, CA
NEARBY LISTINGS FOR SALE OR LEASE
DEMOGRAPHICS near 20878 Sage Ln
1 mile
3 mile
5 mile
2025 Total Population
3,689
21,940
23,706
2030 Population
3,802
22,694
24,538
Pop Growth 2025-2030
+ 3.06%
+ 3.44%
+ 3.51%
Average Age
37
39
40
2025 Total Households
1,391
8,288
8,987
HH Growth 2025-2030
+ 2.95%
+ 3.39%
+ 3.46%
Median Household Inc
$79,821
$82,794
$84,609
Avg Household Size
2.60
2.60
2.60
2025 Avg HH Vehicles
3.00
2.00
2.00
Median Home Value
$398,666
$393,485
$392,965
Median Year Built
1986
1986
1987
Nearby Places
Map Layers
Listings with unknown addresses are not visible on the map
- Restaurants
- Banks
- Shops
- Fitness
- Groceries
PUBLIC TRANSPORTATION
AIRPORT
Meadows Field
Drive
Walk
Distance
Meadows Field
63 min
47.4 mi
Nearby Properties
Address
Land Use
TOTAL SIZE
Lot Size
Zoning
Address
Land Use
TOTAL SIZE
Lot Size
Zoning
157,779 SF
20.17 AC
C-3
Address
Land Use
TOTAL SIZE
Lot Size
Zoning
1.93 AC
C-3
Address
Land Use
TOTAL SIZE
Lot Size
Zoning
43,147 SF
2.41 AC
C3
Address
Land Use
TOTAL SIZE
Lot Size
Zoning
34,884 SF
2.77 AC
C2
Address
Land Use
TOTAL SIZE
Lot Size
Zoning
6.20 AC
M1
Address
Land Use
TOTAL SIZE
Lot Size
Zoning
104,212 SF
11.55 AC
M2
Address
Land Use
TOTAL SIZE
Lot Size
Zoning
49,500 SF
3.06 AC
C2
Address
Land Use
TOTAL SIZE
Lot Size
Zoning
Address
Land Use
TOTAL SIZE
Lot Size
Zoning
55,638 SF
2.79 AC
Address
Land Use
TOTAL SIZE
Lot Size
Zoning
49,500 SF
3.06 AC
C2
Address
Land Use
TOTAL SIZE
Lot Size
Zoning
54,528 SF
4.80 AC
R-2
Address
Land Use
TOTAL SIZE
Lot Size
Zoning
14,488 SF
1.66 AC
C-3
Address
Land Use
TOTAL SIZE
Lot Size
Zoning
7.01 AC
M-1 PD
Address
Land Use
TOTAL SIZE
Lot Size
Zoning
3,072 SF
4.83 AC
Address
Land Use
TOTAL SIZE
Lot Size
Zoning
20,878 SF
2.44 AC
C3
Address
Land Use
TOTAL SIZE
Lot Size
Zoning
19,500 SF
2.75 AC
M-1
Address
Land Use
TOTAL SIZE
Lot Size
Zoning
14,488 SF
1.66 AC
C-3
Address
Land Use
TOTAL SIZE
Lot Size
Zoning
45,873 SF
4.98 AC
Address
Land Use
TOTAL SIZE
Lot Size
Zoning
33,259 SF
1.57 AC
C-3
Address
Land Use
TOTAL SIZE
Lot Size
Zoning
968 SF
17.27 AC
M-2
Address
Land Use
TOTAL SIZE
Lot Size
Zoning
29,700 SF
3.61 AC
R-2
Address
Land Use
TOTAL SIZE
Lot Size
Zoning
54,490 SF
4.02 AC
Address
Land Use
TOTAL SIZE
Lot Size
Zoning
11,045 SF
1.88 AC
C2
Address
Land Use
TOTAL SIZE
Lot Size
Zoning
4,030 SF
6.05 AC
M1
Address
Land Use
TOTAL SIZE
Lot Size
Zoning
9,025 SF
4.78 AC
A-1
Address
Land Use
TOTAL SIZE
Lot Size
Zoning
2,370 SF
0.63 AC
C2
Address
Land Use
TOTAL SIZE
Lot Size
Zoning
15 AC
C-3
Address
Land Use
TOTAL SIZE
Lot Size
Zoning
42,116 SF
3.32 AC
C-2
Address
Land Use
TOTAL SIZE
Lot Size
Zoning
20,898 SF
1.87 AC
C2
Address
Land Use
TOTAL SIZE
Lot Size
Zoning
12,948 SF
2.20 AC
OS






