Property Record
21026 Palomar St, Wildomar, CA 92595
Property Detail
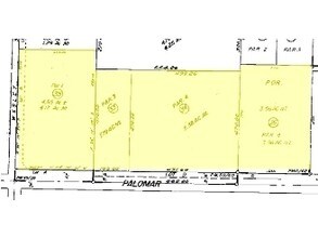
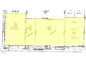
21026 Palomar St
368-200-034
5.38 ACRES NET IN PAR 4 PM 050/060 PM 9613
Agriculturalland
Riverside
RR
California
B and X Area of moderate flood hazard, usually the area between the limits of the 100-year and 500-year floods.
4
2024
5.38 AC
2025
South Riverside
046405
Inland Empire (California)
2,099 SF
Riverside-San Bernardino-Ontario, CA
NEARBY LISTINGS FOR SALE OR LEASE
DEMOGRAPHICS near 21026 Palomar St
1 mile
3 mile
5 mile
2025 Total Population
7,609
41,506
111,423
2030 Population
7,788
42,520
114,094
Pop Growth 2025-2030
+ 2.35%
+ 2.44%
+ 2.40%
Average Age
40
38
38
2025 Total Households
2,330
12,745
34,375
HH Growth 2025-2030
+ 1.93%
+ 2.06%
+ 1.98%
Median Household Inc
$99,999
$109,177
$110,312
Avg Household Size
3.10
3.20
3.10
2025 Avg HH Vehicles
3.00
2.00
2.00
Median Home Value
$645,293
$653,064
$678,282
Median Year Built
1988
1997
1999
Nearby Places
Map Layers
Listings with unknown addresses are not visible on the map
- Restaurants
- Banks
- Shops
- Fitness
- Groceries
PUBLIC TRANSPORTATION
AIRPORT
Ontario International
Drive
Walk
Distance
Ontario International
51 min
41.6 mi
Nearby Properties
Address
Land Use
TOTAL SIZE
Lot Size
Zoning
Address
Land Use
TOTAL SIZE
Lot Size
Zoning
380,129 SF
9.83 AC
IP
Address
Land Use
TOTAL SIZE
Lot Size
Zoning
61,794 SF
20.95 AC
CPS
Address
Land Use
TOTAL SIZE
Lot Size
Zoning
428,904 SF
20.20 AC
R3
Address
Land Use
TOTAL SIZE
Lot Size
Zoning
83,279 SF
7.20 AC
Address
Land Use
TOTAL SIZE
Lot Size
Zoning
58,756 SF
3.52 AC
IP
Address
Land Use
TOTAL SIZE
Lot Size
Zoning
13,834 SF
18.97 AC
Address
Land Use
TOTAL SIZE
Lot Size
Zoning
37,073 SF
4.91 AC
Address
Land Use
TOTAL SIZE
Lot Size
Zoning
49,031 SF
7.18 AC
RR
Address
Land Use
TOTAL SIZE
Lot Size
Zoning
69,299 SF
9.88 AC
RR
Address
Land Use
TOTAL SIZE
Lot Size
Zoning
60,949 SF
1.37 AC
Address
Land Use
TOTAL SIZE
Lot Size
Zoning
65,742 SF
4.97 AC
Address
Land Use
TOTAL SIZE
Lot Size
Zoning
115,825 SF
9.46 AC
R3
Address
Land Use
TOTAL SIZE
Lot Size
Zoning
36,140 SF
2.33 AC
C1CP
Address
Land Use
TOTAL SIZE
Lot Size
Zoning
33,667 SF
3.73 AC
CPS
Address
Land Use
TOTAL SIZE
Lot Size
Zoning
57,687 SF
6.08 AC
CPS
Address
Land Use
TOTAL SIZE
Lot Size
Zoning
22,316 SF
2.49 AC
CPS
Address
Land Use
TOTAL SIZE
Lot Size
Zoning
31,884 SF
1.66 AC
Address
Land Use
TOTAL SIZE
Lot Size
Zoning
76,319 SF
5.77 AC
Address
Land Use
TOTAL SIZE
Lot Size
Zoning
17,272 SF
1.51 AC
C1CP
Address
Land Use
TOTAL SIZE
Lot Size
Zoning
20.66 AC
Address
Land Use
TOTAL SIZE
Lot Size
Zoning
12.79 AC
CPS
Address
Land Use
TOTAL SIZE
Lot Size
Zoning
42,856 SF
3.85 AC
Address
Land Use
TOTAL SIZE
Lot Size
Zoning
33,412 SF
7.75 AC
C1CP
Address
Land Use
TOTAL SIZE
Lot Size
Zoning
87,510 SF
4.75 AC
CPS
Address
Land Use
TOTAL SIZE
Lot Size
Zoning
44,232 SF
3.75 AC
IP
Address
Land Use
TOTAL SIZE
Lot Size
Zoning
20,650 SF
2.19 AC
R1
Address
Land Use
TOTAL SIZE
Lot Size
Zoning
2,911 SF
1.06 AC
CPS
Address
Land Use
TOTAL SIZE
Lot Size
Zoning
31,390 SF
2.19 AC
M1







