Property Record
2210 Fm 663, Midlothian, TX 76065
Property Detail
2210 Fm 663
Dallas-Fort Worth-Arlington, TX
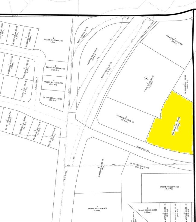
LOT 4 BLK A MIDLOTHIAN TOWNE CROSSING 2.8402 AC
266443
Ellis
Commercialnec
Texas
B and X Area of moderate flood hazard, usually the area between the limits of the 100-year and 500-year floods.
4
2024
2.84 AC
2025
Southwest Outlying
060801
Dallas/Ft Worth
17,625 SF
NEARBY LISTINGS FOR SALE OR LEASE
DEMOGRAPHICS near 2210 Fm 663
1 mile
3 mile
5 mile
2025 Total Population
5,869
29,291
44,745
2030 Population
6,885
34,431
52,590
Pop Growth 2025-2030
+ 17.31%
+ 17.55%
+ 17.53%
Average Age
38
38
38
2025 Total Households
1,989
9,847
14,886
HH Growth 2025-2030
+ 17.50%
+ 17.73%
+ 17.72%
Median Household Inc
$117,041
$119,449
$117,406
Avg Household Size
2.90
2.90
3.00
2025 Avg HH Vehicles
2.00
2.00
2.00
Median Home Value
$428,000
$442,990
$438,415
Median Year Built
2010
2008
2008
Nearby Places
Map Layers
Listings with unknown addresses are not visible on the map
- Restaurants
- Banks
- Shops
- Fitness
- Groceries
PUBLIC TRANSPORTATION
AIRPORT
Dallas Love Field
Drive
Walk
Distance
Dallas Love Field
45 min
32.3 mi
Dallas-Fort Worth International
Drive
Walk
Distance
Dallas-Fort Worth International
47 min
35.6 mi
Nearby Properties
Address
Land Use
TOTAL SIZE
Lot Size
Zoning
Address
Land Use
TOTAL SIZE
Lot Size
Zoning
176,817 SF
30.71 AC
Address
Land Use
TOTAL SIZE
Lot Size
Zoning
471,921 SF
46 AC
Address
Land Use
TOTAL SIZE
Lot Size
Zoning
740,870 SF
73.29 AC
Address
Land Use
TOTAL SIZE
Lot Size
Zoning
305,283 SF
14.75 AC
Address
Land Use
TOTAL SIZE
Lot Size
Zoning
347,406 SF
20.99 AC
Address
Land Use
TOTAL SIZE
Lot Size
Zoning
108,054 SF
26.99 AC
Address
Land Use
TOTAL SIZE
Lot Size
Zoning
730,356 SF
44.50 AC
Address
Land Use
TOTAL SIZE
Lot Size
Zoning
222,600 SF
9.31 AC
Address
Land Use
TOTAL SIZE
Lot Size
Zoning
28,974 SF
47.07 AC
Address
Land Use
TOTAL SIZE
Lot Size
Zoning
98,001 SF
14.51 AC
Address
Land Use
TOTAL SIZE
Lot Size
Zoning
199,000 SF
7.76 AC
Address
Land Use
TOTAL SIZE
Lot Size
Zoning
70,066 SF
23.14 AC
Address
Land Use
TOTAL SIZE
Lot Size
Zoning
99,264 SF
10 AC
Address
Land Use
TOTAL SIZE
Lot Size
Zoning
90,377 SF
27.54 AC
Address
Land Use
TOTAL SIZE
Lot Size
Zoning
90,000 SF
12.20 AC
Address
Land Use
TOTAL SIZE
Lot Size
Zoning
117,457 SF
11.24 AC
Address
Land Use
TOTAL SIZE
Lot Size
Zoning
306,925 SF
19.44 AC
Address
Land Use
TOTAL SIZE
Lot Size
Zoning
54,224 SF
1.72 AC
Address
Land Use
TOTAL SIZE
Lot Size
Zoning
80,938 SF
535.62 AC
Address
Land Use
TOTAL SIZE
Lot Size
Zoning
73,480 SF
295.63 AC
Address
Land Use
TOTAL SIZE
Lot Size
Zoning
160,775 SF
14.41 AC
Address
Land Use
TOTAL SIZE
Lot Size
Zoning
756 AC
Address
Land Use
TOTAL SIZE
Lot Size
Zoning
224,941 SF
27.71 AC
Address
Land Use
TOTAL SIZE
Lot Size
Zoning
118,641 SF
12.07 AC
Address
Land Use
TOTAL SIZE
Lot Size
Zoning
56,641 SF
4.77 AC
Address
Land Use
TOTAL SIZE
Lot Size
Zoning
52,386 SF
3.94 AC
Address
Land Use
TOTAL SIZE
Lot Size
Zoning
190,120 SF
21.77 AC
Address
Land Use
TOTAL SIZE
Lot Size
Zoning
30,354 SF
17.33 AC
Address
Land Use
TOTAL SIZE
Lot Size
Zoning
7,916 SF
97.54 AC
Address
Land Use
TOTAL SIZE
Lot Size
Zoning
120,810 SF
3.01 AC







