Property Record
256 E Alondra Blvd, Gardena, CA 90248
NEARBY LISTINGS FOR SALE OR LEASE
Property Detail
256 E Alondra Blvd
Los Angeles-Long Beach-Glendale, CA
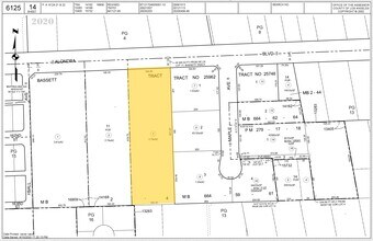
Bassett Tract
6125-014-003
BASSETT TRACT LOT COM AT NW COR OF LOT 1 TRACT NO 25962 TH W ON S LINE OF ALONDRA BLVD 195.30 FT TH S 2 07 E 619.70 FT TH N 87 53 E 195.30 FT TH N 2 07 W 621.43 FT TO BEG PART OF LOT 11
Horticulturegrowinghousesagricultural
Los Angeles
X
California
06037C1795F
1
2025
2.80 AC
2025
West Rancho Dominguez
541003
Los Angeles
35,269 SF
DEMOGRAPHICS near 256 E Alondra Blvd
1 mile
3 mile
5 mile
2024 Total Population
11,355
197,122
711,541
2029 Population
10,948
190,245
686,184
Pop Growth 2024-2029
(3.58%)
(3.49%)
(3.56%)
Average Age
39
39
38
2024 Total Households
3,223
58,476
204,728
HH Growth 2024-2029
(3.88%)
(3.73%)
(3.77%)
Median Household Inc
$64,549
$73,163
$66,764
Avg Household Size
3.30
3.20
3.30
2024 Avg HH Vehicles
2.00
2.00
2.00
Median Home Value
$617,901
$641,108
$630,050
Median Year Built
1963
1960
1959
Nearby Places
Map Layers
Listings with unknown addresses are not visible on the map
- Restaurants
- Banks
- Shops
- Fitness
- Groceries
PUBLIC TRANSPORTATION
AIRPORT
Long Beach (Daugherty Field)
Drive
Walk
Distance
Long Beach (Daugherty Field)
17 min
10.8 mi
Los Angeles International
Drive
Walk
Distance
Los Angeles International
20 min
13.2 mi
Bob Hope
Drive
Walk
Distance
Bob Hope
40 min
30.1 mi
Freight Ports
Port of Long Beach
Drive
Walk
Distance
Port of Long Beach
20 min
12.6 mi
SALE & LEASE HISTORY
LISTING DATE
SALE/LEASE
Nearby Properties
Address
Land Use
TOTAL SIZE
Lot Size
Zoning
Address
Land Use
TOTAL SIZE
Lot Size
Zoning
64,456 SF
11.71 AC
CASP-10*
Address
Land Use
TOTAL SIZE
Lot Size
Zoning
422,640 SF
LAM3
Address
Land Use
TOTAL SIZE
Lot Size
Zoning
248,531 SF
13.30 AC
LCM11/2-B1
Address
Land Use
TOTAL SIZE
Lot Size
Zoning
291,731 SF
16.84 AC
CAML*
Address
Land Use
TOTAL SIZE
Lot Size
Zoning
3,585,714 SF
67.35 AC
LAM3
Address
Land Use
TOTAL SIZE
Lot Size
Zoning
409,522 SF
11.41 AC
LAM3
Address
Land Use
TOTAL SIZE
Lot Size
Zoning
214,782 SF
3.66 AC
GAR3
Address
Land Use
TOTAL SIZE
Lot Size
Zoning
260,766 SF
10.70 AC
LAM3
Address
Land Use
TOTAL SIZE
Lot Size
Zoning
169,400 SF
8.11 AC
COMH*
Address
Land Use
TOTAL SIZE
Lot Size
Zoning
402,197 SF
27.29 AC
COMH*
Address
Land Use
TOTAL SIZE
Lot Size
Zoning
515,047 SF
4.87 AC
COMH*
Address
Land Use
TOTAL SIZE
Lot Size
Zoning
430,706 SF
18.95 AC
CASP-4*
Address
Land Use
TOTAL SIZE
Lot Size
Zoning
514,397 SF
24.34 AC
COMH-B*
Address
Land Use
TOTAL SIZE
Lot Size
Zoning
472,062 SF
24.39 AC
COMH-B*
Address
Land Use
TOTAL SIZE
Lot Size
Zoning
125,849 SF
6.08 AC
LAM2
Address
Land Use
TOTAL SIZE
Lot Size
Zoning
24,060 SF
LAM2
Address
Land Use
TOTAL SIZE
Lot Size
Zoning
178,323 SF
12.23 AC
CACR&D&MUR
Address
Land Use
TOTAL SIZE
Lot Size
Zoning
546,606 SF
17.58 AC
LAM3
Address
Land Use
TOTAL SIZE
Lot Size
Zoning
230,694 SF
9.02 AC
COMH-B*
Address
Land Use
TOTAL SIZE
Lot Size
Zoning
499,562 SF
6.50 AC
LAM3
Address
Land Use
TOTAL SIZE
Lot Size
Zoning
210,742 SF
11.25 AC
CAML*
Address
Land Use
TOTAL SIZE
Lot Size
Zoning
536,092 SF
3.79 AC
LAM3
Address
Land Use
TOTAL SIZE
Lot Size
Zoning
533,879 SF
10.02 AC
LAM2
Address
Land Use
TOTAL SIZE
Lot Size
Zoning
157,320 SF
7.18 AC
COMH*
Address
Land Use
TOTAL SIZE
Lot Size
Zoning
519,144 SF
3.49 AC
LAM3
Address
Land Use
TOTAL SIZE
Lot Size
Zoning
71,479 SF
3.11 AC
CAML*
Address
Land Use
TOTAL SIZE
Lot Size
Zoning
118,191 SF
Address
Land Use
TOTAL SIZE
Lot Size
Zoning
146,182 SF
CAML*
Address
Land Use
TOTAL SIZE
Lot Size
Zoning
146,830 SF
7.26 AC
LAM3
Address
Land Use
TOTAL SIZE
Lot Size
Zoning
169,426 SF
3.50 AC
LCM11/2-B1








