Property Record
261 E Burnside Ave, Bronx, NY 10457
Property Detail
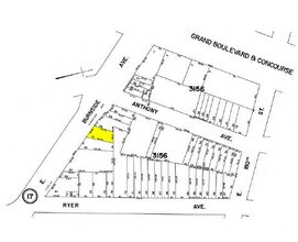
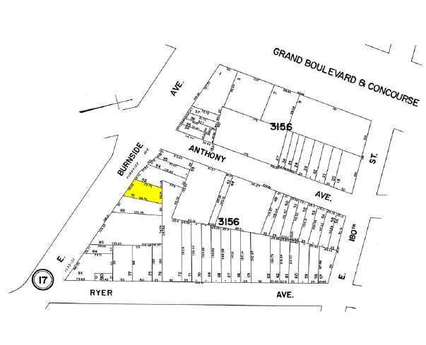
261 E Burnside Ave
03156-0091
Bronx
Multifamilydwelling
New York
R8
91
B and X Area of moderate flood hazard, usually the area between the limits of the 100-year and 500-year floods.
0.12 AC
2025
Fordham Heights
2026
Westchester/So Connecticut
038100
New York-Jersey City-White Plains, NY-NJ
15,906 SF
NEARBY LISTINGS FOR SALE OR LEASE
DEMOGRAPHICS near 261 E Burnside Ave
1 mile
3 mile
5 mile
2025 Total Population
239,248
1,307,692
2,099,962
2030 Population
236,596
1,300,659
2,095,459
Pop Growth 2025-2030
(1.11%)
(0.54%)
(0.21%)
Average Age
37
39
40
2025 Total Households
78,285
466,953
773,399
HH Growth 2025-2030
(1.62%)
(0.64%)
(0.15%)
Median Household Inc
$40,518
$46,811
$52,836
Avg Household Size
2.80
2.60
2.50
2025 Avg HH Vehicles
.00
.00
1.00
Median Home Value
$319,778
$494,042
$583,118
Median Year Built
1948
1949
1953
Nearby Places
Map Layers
Listings with unknown addresses are not visible on the map
- Restaurants
- Banks
- Shops
- Fitness
- Groceries
PUBLIC TRANSPORTATION
TRANSIT/SUBWAY
Tremont Avenue (B - New York MTA Subway (The Subway), D - New York MTA Subway (The Subway))
Drive
Walk
Distance
Tremont Avenue (B - New York MTA Subway (The Subway), D - New York MTA Subway (The Subway))
1 min
4 min
0.2 mi
Burnside Avenue (4 - New York MTA Subway (The Subway))
Drive
Walk
Distance
Burnside Avenue (4 - New York MTA Subway (The Subway))
0 min
6 min
0.3 mi
182-183 Streets (B - New York MTA Subway (The Subway), D - New York MTA Subway (The Subway))
Drive
Walk
Distance
182-183 Streets (B - New York MTA Subway (The Subway), D - New York MTA Subway (The Subway))
1 min
6 min
0.4 mi
183 Street (4 - New York MTA Subway (The Subway))
Drive
Walk
Distance
183 Street (4 - New York MTA Subway (The Subway))
1 min
12 min
0.6 mi
176 Street (4 - New York MTA Subway (The Subway))
Drive
Walk
Distance
176 Street (4 - New York MTA Subway (The Subway))
2 min
13 min
0.7 mi
COMMUTER RAIL
Tremont Station (Harlem Line - Metro-North Commuter Railroad Company (Metro-North))
Drive
Walk
Distance
Tremont Station (Harlem Line - Metro-North Commuter Railroad Company (Metro-North))
2 min
7 min
0.4 mi
Fordham Station (Harlem Line - Metro-North Commuter Railroad Company (Metro-North), New Haven Line - Metro-North Commuter Railroad Company (Metro-North))
Drive
Walk
Distance
Fordham Station (Harlem Line - Metro-North Commuter Railroad Company (Metro-North), New Haven Line - Metro-North Commuter Railroad Company (Metro-North))
3 min
1.1 mi
AIRPORT
LaGuardia
Drive
Walk
Distance
LaGuardia
20 min
10.0 mi
John F Kennedy International
Drive
Walk
Distance
John F Kennedy International
29 min
19.5 mi
Newark Liberty International
Drive
Walk
Distance
Newark Liberty International
27 min
22.5 mi
Freight Ports
NY - Red Hook Container Terminal
Drive
Walk
Distance
NY - Red Hook Container Terminal
33 min
18.2 mi
Nearby Properties
Address
Land Use
TOTAL SIZE
Lot Size
Zoning
Address
Land Use
TOTAL SIZE
Lot Size
Zoning
1,290,000 SF
14.56 AC
PARK
Address
Land Use
TOTAL SIZE
Lot Size
Zoning
3,533,539 SF
8.37 AC
R8
Address
Land Use
TOTAL SIZE
Lot Size
Zoning
1,299,700 SF
29.82 AC
R6
Address
Land Use
TOTAL SIZE
Lot Size
Zoning
1,743,584 SF
77.87 AC
R6
Address
Land Use
TOTAL SIZE
Lot Size
Zoning
24.08 AC
B2-A
Address
Land Use
TOTAL SIZE
Lot Size
Zoning
1,427,393 SF
39.94 AC
R4
Address
Land Use
TOTAL SIZE
Lot Size
Zoning
1,651,267 SF
1.23 AC
R8
Address
Land Use
TOTAL SIZE
Lot Size
Zoning
481,172 SF
205.58 AC
PARK
Address
Land Use
TOTAL SIZE
Lot Size
Zoning
895,256 SF
8.32 AC
R7-1
Address
Land Use
TOTAL SIZE
Lot Size
Zoning
891,040 SF
5.63 AC
R8
Address
Land Use
TOTAL SIZE
Lot Size
Zoning
0.36 AC
R8
Address
Land Use
TOTAL SIZE
Lot Size
Zoning
1,311,800 SF
9.89 AC
C4-4
Address
Land Use
TOTAL SIZE
Lot Size
Zoning
1,237,424 SF
21.25 AC
R6
Address
Land Use
TOTAL SIZE
Lot Size
Zoning
204,200 SF
1.68 AC
R7-1
Address
Land Use
TOTAL SIZE
Lot Size
Zoning
42.68 AC
P1
Address
Land Use
TOTAL SIZE
Lot Size
Zoning
807,327 SF
0.60 AC
R8
Address
Land Use
TOTAL SIZE
Lot Size
Zoning
2,531,670 SF
17.15 AC
R7-2
Address
Land Use
TOTAL SIZE
Lot Size
Zoning
390,750 SF
265 AC
PARK
Address
Land Use
TOTAL SIZE
Lot Size
Zoning
598,815 SF
1.64 AC
R8
Address
Land Use
TOTAL SIZE
Lot Size
Zoning
39 AC
P1
Address
Land Use
TOTAL SIZE
Lot Size
Zoning
317,485 SF
1.57 AC
R8
Address
Land Use
TOTAL SIZE
Lot Size
Zoning
1,392,950 SF
19.67 AC
M2-1
Address
Land Use
TOTAL SIZE
Lot Size
Zoning
631,237 SF
30.93 AC
R5
Address
Land Use
TOTAL SIZE
Lot Size
Zoning
707,353 SF
29.34 AC
R6
Address
Land Use
TOTAL SIZE
Lot Size
Zoning
480,769 SF
1.21 AC
R8
Address
Land Use
TOTAL SIZE
Lot Size
Zoning
43.65 AC
PARK
Address
Land Use
TOTAL SIZE
Lot Size
Zoning
293,848 SF
2.98 AC
C8-3
Address
Land Use
TOTAL SIZE
Lot Size
Zoning
Address
Land Use
TOTAL SIZE
Lot Size
Zoning
851,821 SF
7.95 AC
R4
Address
Land Use
TOTAL SIZE
Lot Size
Zoning
271,029 SF
0.94 AC
C6-2







