Property Record
2800 Airport Rd, Denton, TX 76207
Property Detail
2800 Airport Rd
Dallas-Fort Worth-Arlington, TX
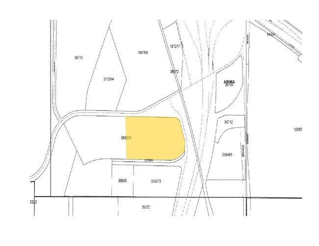
VICTOR TECHNOLOGIES ADDITION BLK A LOT 1R (PT)
R668373
Denton
Industrialgeneral
Texas
AE The base floodplain where base flood elevations are provided. AE Zones are now used on new format FIRMs instead of A1-A30 Zones.
1r
2024
27.55 AC
2025
Denton
020800
Dallas/Ft Worth
436,808 SF
NEARBY LISTINGS FOR SALE OR LEASE
DEMOGRAPHICS near 2800 Airport Rd
1 mile
3 mile
5 mile
2025 Total Population
8,605
59,429
136,794
2030 Population
9,781
67,144
154,329
Pop Growth 2025-2030
+ 13.67%
+ 12.98%
+ 12.82%
Average Age
30
33
36
2025 Total Households
3,566
24,550
54,342
HH Growth 2025-2030
+ 14.36%
+ 13.42%
+ 13.19%
Median Household Inc
$34,121
$48,839
$67,356
Avg Household Size
2.10
2.10
2.30
2025 Avg HH Vehicles
2.00
2.00
2.00
Median Home Value
$370,689
$319,427
$351,824
Median Year Built
1991
1988
1993
Nearby Places
Map Layers
Listings with unknown addresses are not visible on the map
- Restaurants
- Banks
- Shops
- Fitness
- Groceries
PUBLIC TRANSPORTATION
COMMUTER RAIL
Downtown Denton Transit Center (A-train - Denton County Transportation Authority)
Drive
Walk
Distance
Downtown Denton Transit Center (A-train - Denton County Transportation Authority)
8 min
4.1 mi
Medpark Station (A-train - Denton County Transportation Authority)
Drive
Walk
Distance
Medpark Station (A-train - Denton County Transportation Authority)
10 min
5.5 mi
AIRPORT
Dallas-Fort Worth International
Drive
Walk
Distance
Dallas-Fort Worth International
35 min
28.0 mi
Freight Ports
Port of Shreveport
Drive
Walk
Distance
Port of Shreveport
254 min
234.6 mi
Nearby Properties
Address
Land Use
TOTAL SIZE
Lot Size
Zoning
Address
Land Use
TOTAL SIZE
Lot Size
Zoning
594,945 SF
139.10 AC
Address
Land Use
TOTAL SIZE
Lot Size
Zoning
515,375 SF
24.39 AC
Address
Land Use
TOTAL SIZE
Lot Size
Zoning
1,121,760 SF
73.87 AC
Address
Land Use
TOTAL SIZE
Lot Size
Zoning
884,278 SF
77.21 AC
Address
Land Use
TOTAL SIZE
Lot Size
Zoning
398,028 SF
18.89 AC
Address
Land Use
TOTAL SIZE
Lot Size
Zoning
272,599 SF
4.01 AC
Address
Land Use
TOTAL SIZE
Lot Size
Zoning
368,434 SF
16.39 AC
Address
Land Use
TOTAL SIZE
Lot Size
Zoning
343,800 SF
10.95 AC
Address
Land Use
TOTAL SIZE
Lot Size
Zoning
409,957 SF
5.91 AC
Address
Land Use
TOTAL SIZE
Lot Size
Zoning
373,498 SF
54.27 AC
Address
Land Use
TOTAL SIZE
Lot Size
Zoning
262,008 SF
11.11 AC
Address
Land Use
TOTAL SIZE
Lot Size
Zoning
144,771 SF
Address
Land Use
TOTAL SIZE
Lot Size
Zoning
285,578 SF
42.28 AC
Address
Land Use
TOTAL SIZE
Lot Size
Zoning
334,834 SF
11.95 AC
Address
Land Use
TOTAL SIZE
Lot Size
Zoning
350,457 SF
4.25 AC
Address
Land Use
TOTAL SIZE
Lot Size
Zoning
255,165 SF
11.72 AC
Address
Land Use
TOTAL SIZE
Lot Size
Zoning
352,862 SF
47.44 AC
Address
Land Use
TOTAL SIZE
Lot Size
Zoning
362,191 SF
6.81 AC
Address
Land Use
TOTAL SIZE
Lot Size
Zoning
216,314 SF
22.10 AC
Address
Land Use
TOTAL SIZE
Lot Size
Zoning
310,078 SF
18.22 AC
29G
Address
Land Use
TOTAL SIZE
Lot Size
Zoning
611,770 SF
44.56 AC
Address
Land Use
TOTAL SIZE
Lot Size
Zoning
138,000 SF
2.91 AC
Address
Land Use
TOTAL SIZE
Lot Size
Zoning
238,200 SF
85.31 AC
Address
Land Use
TOTAL SIZE
Lot Size
Zoning
352,950 SF
21.43 AC
Address
Land Use
TOTAL SIZE
Lot Size
Zoning
550,569 SF
57.31 AC
Address
Land Use
TOTAL SIZE
Lot Size
Zoning
251,208 SF
9.29 AC
Address
Land Use
TOTAL SIZE
Lot Size
Zoning
447,180 SF
30.54 AC
Address
Land Use
TOTAL SIZE
Lot Size
Zoning
261,847 SF
2.81 AC
Address
Land Use
TOTAL SIZE
Lot Size
Zoning
216,321 SF
16.97 AC
Address
Land Use
TOTAL SIZE
Lot Size
Zoning
326,832 SF
19.54 AC
30G







