Property Record
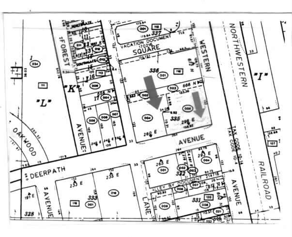
296 E Deerpath, Lake Forest, IL 60045
Property Detail
296 E Deerpath
Chicago-Naperville-Elgin, IL-IN
CITY OF LAKE FOREST E133.26 FT & W25.54 FT OF E158.80 FT S 7 7.23 FT LOT 335
12-33-116-005
LAKE
Commercialacreage
Illinois
B and X Area of moderate flood hazard, usually the area between the limits of the 100-year and 500-year floods.
335
2024
0.45 AC
2025
Central North
863500
Chicago
NEARBY LISTINGS FOR SALE OR LEASE
DEMOGRAPHICS near 296 E Deerpath
1 mile
3 mile
5 mile
2025 Total Population
6,192
26,451
75,691
2030 Population
6,325
26,883
76,828
Pop Growth 2025-2030
+ 2.15%
+ 1.63%
+ 1.50%
Average Age
42
43
39
2025 Total Households
2,262
9,461
23,746
HH Growth 2025-2030
+ 2.21%
+ 1.64%
+ 1.81%
Median Household Inc
$173,451
$198,280
$132,780
Avg Household Size
2.30
2.60
2.60
2025 Avg HH Vehicles
2.00
2.00
2.00
Median Home Value
$825,305
$876,439
$737,566
Median Year Built
1970
1971
1974
Nearby Places
Map Layers
Listings with unknown addresses are not visible on the map
- Restaurants
- Banks
- Shops
- Fitness
- Groceries
PUBLIC TRANSPORTATION
COMMUTER RAIL
Lake Forest Station (Up-North) (Union Pacific North Line - Northeast Illinois Regional Commuter Railroad (Metra))
Drive
Walk
Distance
Lake Forest Station (Up-North) (Union Pacific North Line - Northeast Illinois Regional Commuter Railroad (Metra))
0 min
4 min
0.1 mi
Lake Bluff Station (Union Pacific North Line - Northeast Illinois Regional Commuter Railroad (Metra))
Drive
Walk
Distance
Lake Bluff Station (Union Pacific North Line - Northeast Illinois Regional Commuter Railroad (Metra))
5 min
2.3 mi
AIRPORT
Chicago O'Hare International
Drive
Walk
Distance
Chicago O'Hare International
35 min
24.6 mi
Freight Ports
Port Milwaukee
Drive
Walk
Distance
Port Milwaukee
68 min
56.7 mi
SALE & LEASE HISTORY
LISTING DATE
SALE/LEASE
Nearby Properties
Address
Land Use
TOTAL SIZE
Lot Size
Zoning
Address
Land Use
TOTAL SIZE
Lot Size
Zoning
51,750 SF
48.98 AC
Address
Land Use
TOTAL SIZE
Lot Size
Zoning
17.35 AC
Address
Land Use
TOTAL SIZE
Lot Size
Zoning
253,218 SF
2.88 AC
Address
Land Use
TOTAL SIZE
Lot Size
Zoning
7.98 AC
Address
Land Use
TOTAL SIZE
Lot Size
Zoning
70,404 SF
0.65 AC
Address
Land Use
TOTAL SIZE
Lot Size
Zoning
25.66 AC
Address
Land Use
TOTAL SIZE
Lot Size
Zoning
10.68 AC
Address
Land Use
TOTAL SIZE
Lot Size
Zoning
15.47 AC
Address
Land Use
TOTAL SIZE
Lot Size
Zoning
32,017 SF
1.83 AC
Address
Land Use
TOTAL SIZE
Lot Size
Zoning
68,100 SF
1.28 AC
Address
Land Use
TOTAL SIZE
Lot Size
Zoning
14,879 SF
2.63 AC
Address
Land Use
TOTAL SIZE
Lot Size
Zoning
93,489 SF
0.36 AC
Address
Land Use
TOTAL SIZE
Lot Size
Zoning
248,232 SF
18.91 AC
Address
Land Use
TOTAL SIZE
Lot Size
Zoning
94,995 SF
7.67 AC
Address
Land Use
TOTAL SIZE
Lot Size
Zoning
78,466 SF
13.34 AC
Address
Land Use
TOTAL SIZE
Lot Size
Zoning
Address
Land Use
TOTAL SIZE
Lot Size
Zoning
12.61 AC
Address
Land Use
TOTAL SIZE
Lot Size
Zoning
65,228 SF
7.70 AC
Address
Land Use
TOTAL SIZE
Lot Size
Zoning
51,564 SF
1.67 AC
Address
Land Use
TOTAL SIZE
Lot Size
Zoning
10.90 AC
Address
Land Use
TOTAL SIZE
Lot Size
Zoning
183,110 SF
7.53 AC
Address
Land Use
TOTAL SIZE
Lot Size
Zoning
168,628 SF
1.11 AC
Address
Land Use
TOTAL SIZE
Lot Size
Zoning
97,216 SF
6.99 AC
Address
Land Use
TOTAL SIZE
Lot Size
Zoning
99,978 SF
3.50 AC
Address
Land Use
TOTAL SIZE
Lot Size
Zoning
95,134 SF
2.84 AC
Address
Land Use
TOTAL SIZE
Lot Size
Zoning
55,072 SF
2.19 AC
Address
Land Use
TOTAL SIZE
Lot Size
Zoning
114,592 SF
0.68 AC
Address
Land Use
TOTAL SIZE
Lot Size
Zoning
85,494 SF
0.48 AC
Address
Land Use
TOTAL SIZE
Lot Size
Zoning
60,526 SF
2.04 AC
Address
Land Use
TOTAL SIZE
Lot Size
Zoning
84,719 SF
4.34 AC







