Property Record
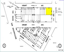
3015 Roberts Ave, Bronx, NY 10461
Property Detail
3015 Roberts Ave
04170-0001
Bronx
Apartment
New York
R7-1
1
B and X Area of moderate flood hazard, usually the area between the limits of the 100-year and 500-year floods.
0.23 AC
2025
Middletown-Pelham Bay
2026
Westchester/So Connecticut
026602
New York-Jersey City-White Plains, NY-NJ
44,189 SF
NEARBY LISTINGS FOR SALE OR LEASE
DEMOGRAPHICS near 3015 Roberts Ave
1 mile
3 mile
5 mile
2025 Total Population
41,363
484,676
1,440,856
2030 Population
38,587
461,815
1,403,412
Pop Growth 2025-2030
(6.71%)
(4.72%)
(2.60%)
Average Age
40
40
39
2025 Total Households
15,167
174,139
505,103
HH Growth 2025-2030
(7.58%)
(5.11%)
(3.00%)
Median Household Inc
$63,725
$53,707
$50,562
Avg Household Size
2.50
2.60
2.70
2025 Avg HH Vehicles
1.00
1.00
1.00
Median Home Value
$712,128
$570,504
$573,235
Median Year Built
1953
1955
1953
Nearby Places
Map Layers
Listings with unknown addresses are not visible on the map
- Restaurants
- Banks
- Shops
- Fitness
- Groceries
PUBLIC TRANSPORTATION
TRANSIT/SUBWAY
Buhre Avenue (6 - New York MTA Subway (The Subway))
Drive
Walk
Distance
Buhre Avenue (6 - New York MTA Subway (The Subway))
1 min
3 min
0.2 mi
Middletown Road (6 - New York MTA Subway (The Subway))
Drive
Walk
Distance
Middletown Road (6 - New York MTA Subway (The Subway))
2 min
7 min
0.4 mi
Pelham Bay Park (6 - New York MTA Subway (The Subway))
Drive
Walk
Distance
Pelham Bay Park (6 - New York MTA Subway (The Subway))
3 min
15 min
0.8 mi
Westchester Square-East Tremont Avenue (6 - New York MTA Subway (The Subway))
Drive
Walk
Distance
Westchester Square-East Tremont Avenue (6 - New York MTA Subway (The Subway))
2 min
15 min
0.8 mi
COMMUTER RAIL
Williams Bridge Station (Harlem Line - Metro-North Commuter Railroad Company (Metro-North))
Drive
Walk
Distance
Williams Bridge Station (Harlem Line - Metro-North Commuter Railroad Company (Metro-North))
10 min
3.9 mi
Botanical Garden Station (Harlem Line - Metro-North Commuter Railroad Company (Metro-North))
Drive
Walk
Distance
Botanical Garden Station (Harlem Line - Metro-North Commuter Railroad Company (Metro-North))
12 min
4.5 mi
AIRPORT
LaGuardia
Drive
Walk
Distance
LaGuardia
18 min
9.2 mi
John F Kennedy International
Drive
Walk
Distance
John F Kennedy International
24 min
16.8 mi
Westchester County
Drive
Walk
Distance
Westchester County
33 min
21.6 mi
Freight Ports
NY - Red Hook Container Terminal
Drive
Walk
Distance
NY - Red Hook Container Terminal
33 min
19.7 mi
Nearby Properties
Address
Land Use
TOTAL SIZE
Lot Size
Zoning
Address
Land Use
TOTAL SIZE
Lot Size
Zoning
550,000 SF
8.75 AC
M1-1
Address
Land Use
TOTAL SIZE
Lot Size
Zoning
1,427,393 SF
39.94 AC
R4
Address
Land Use
TOTAL SIZE
Lot Size
Zoning
481,172 SF
205.58 AC
PARK
Address
Land Use
TOTAL SIZE
Lot Size
Zoning
1,132,500 SF
62.44 AC
R6
Address
Land Use
TOTAL SIZE
Lot Size
Zoning
130,119 SF
1,704.55 AC
PARK
Address
Land Use
TOTAL SIZE
Lot Size
Zoning
5,000 SF
363.58 AC
PARK
Address
Land Use
TOTAL SIZE
Lot Size
Zoning
1,012,000 SF
7.79 AC
R6
Address
Land Use
TOTAL SIZE
Lot Size
Zoning
485,484 SF
39.63 AC
R5
Address
Land Use
TOTAL SIZE
Lot Size
Zoning
667,405 SF
5.51 AC
R6
Address
Land Use
TOTAL SIZE
Lot Size
Zoning
390,750 SF
265 AC
PARK
Address
Land Use
TOTAL SIZE
Lot Size
Zoning
552,155 SF
5.18 AC
C4-3
Address
Land Use
TOTAL SIZE
Lot Size
Zoning
545,388 SF
29.07 AC
C4-3
Address
Land Use
TOTAL SIZE
Lot Size
Zoning
851,821 SF
7.95 AC
R4
Address
Land Use
TOTAL SIZE
Lot Size
Zoning
489,326 SF
19.18 AC
C8-1
Address
Land Use
TOTAL SIZE
Lot Size
Zoning
14,681 SF
97 AC
PARK
Address
Land Use
TOTAL SIZE
Lot Size
Zoning
361,354 SF
C4-2
Address
Land Use
TOTAL SIZE
Lot Size
Zoning
510 SF
68.73 AC
PARK
Address
Land Use
TOTAL SIZE
Lot Size
Zoning
601,260 SF
3.27 AC
R4
Address
Land Use
TOTAL SIZE
Lot Size
Zoning
450,879 SF
9.10 AC
M1-1
Address
Land Use
TOTAL SIZE
Lot Size
Zoning
1,028,976 SF
23.03 AC
R5
Address
Land Use
TOTAL SIZE
Lot Size
Zoning
1,038,034 SF
23.41 AC
R5
Address
Land Use
TOTAL SIZE
Lot Size
Zoning
191,800 SF
13.39 AC
C4-3
Address
Land Use
TOTAL SIZE
Lot Size
Zoning
450,000 SF
5.59 AC
R6
Address
Land Use
TOTAL SIZE
Lot Size
Zoning
726,051 SF
33.66 AC
R5
Address
Land Use
TOTAL SIZE
Lot Size
Zoning
274,840 SF
2.80 AC
M1-1
Address
Land Use
TOTAL SIZE
Lot Size
Zoning
493,000 SF
3.02 AC
R5
Address
Land Use
TOTAL SIZE
Lot Size
Zoning
240,000 SF
6.49 AC
C4-3
Address
Land Use
TOTAL SIZE
Lot Size
Zoning
1,214,370 SF
13.09 AC
R6
Address
Land Use
TOTAL SIZE
Lot Size
Zoning
16,300 SF
148.32 AC
PARK
Address
Land Use
TOTAL SIZE
Lot Size
Zoning
1,172,800 SF
19.66 AC
R4








