Property Record
31 W Stuart Ave, Redlands, CA 92374
Property Detail
31 W Stuart Ave
Riverside-San Bernardino-Ontario, CA
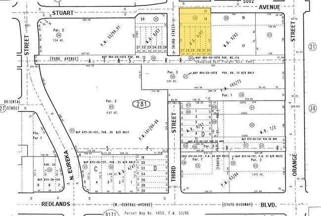
CENTRAL TOWNSITE PTN BLK C DESC AS S 24.8 FT LOT 17 AND ALL LOTS 19 27 28 29 30 31 AND 32 AND 15 FT ALLEY ADJ LOT 19 WITH SD LOTS 27 THRU 32 EX ST ALSO EXCEPT THAT PORTION OF LOTS 27 THROUGH 32, BLOCK C, AMENDED MAP OF CENTRAL TOWNSITE, IN THE CITY O
0169-281-64
SAN BERNARDINO
Officebuilding
California
AO River or stream flood hazard areas, and areas with a 1% or greater chance of shallow flooding each year. These areas have a 26% chance of flooding over the life of a 30-year mortgage.
19,27
2025
0.55 AC
2025
Redlands/Loma Linda
008004
Inland Empire (California)
38,616 SF
NEARBY LISTINGS FOR SALE OR LEASE
DEMOGRAPHICS near 31 W Stuart Ave
1 mile
3 mile
5 mile
2025 Total Population
18,569
79,684
157,426
2030 Population
18,775
81,085
159,614
Pop Growth 2025-2030
+ 1.11%
+ 1.76%
+ 1.39%
Average Age
36
39
39
2025 Total Households
6,729
28,709
54,147
HH Growth 2025-2030
+ 1.20%
+ 1.86%
+ 1.46%
Median Household Inc
$73,937
$99,204
$98,385
Avg Household Size
2.60
2.60
2.80
2025 Avg HH Vehicles
2.00
2.00
2.00
Median Home Value
$553,815
$651,918
$621,183
Median Year Built
1968
1978
1980
Nearby Places
Map Layers
Listings with unknown addresses are not visible on the map
- Restaurants
- Banks
- Shops
- Fitness
- Groceries
PUBLIC TRANSPORTATION
COMMUTER RAIL
Drive
Walk
Distance
1 min
5 min
0.3 mi
Drive
Walk
Distance
2 min
17 min
0.9 mi
AIRPORT
Ontario International
Drive
Walk
Distance
Ontario International
32 min
25.3 mi
Nearby Properties
Address
Land Use
TOTAL SIZE
Lot Size
Zoning
Address
Land Use
TOTAL SIZE
Lot Size
Zoning
1,079,236 SF
54.70 AC
EVIR
Address
Land Use
TOTAL SIZE
Lot Size
Zoning
393,088 SF
25.98 AC
Address
Land Use
TOTAL SIZE
Lot Size
Zoning
345,158 SF
36.95 AC
Address
Land Use
TOTAL SIZE
Lot Size
Zoning
445,160 SF
24.11 AC
Address
Land Use
TOTAL SIZE
Lot Size
Zoning
460,038 SF
22.70 AC
Address
Land Use
TOTAL SIZE
Lot Size
Zoning
1,313,470 SF
60.31 AC
Address
Land Use
TOTAL SIZE
Lot Size
Zoning
1,012,980 SF
50.48 AC
Address
Land Use
TOTAL SIZE
Lot Size
Zoning
105,803 SF
10.86 AC
Address
Land Use
TOTAL SIZE
Lot Size
Zoning
329,075 SF
10.93 AC
Address
Land Use
TOTAL SIZE
Lot Size
Zoning
614,292 SF
27.84 AC
Address
Land Use
TOTAL SIZE
Lot Size
Zoning
771,907 SF
35.59 AC
Address
Land Use
TOTAL SIZE
Lot Size
Zoning
69,495 SF
3.04 AC
RM
Address
Land Use
TOTAL SIZE
Lot Size
Zoning
784,280 SF
34.62 AC
EVSDCOM
Address
Land Use
TOTAL SIZE
Lot Size
Zoning
606,450 SF
27.91 AC
EVSDCOM
Address
Land Use
TOTAL SIZE
Lot Size
Zoning
56.83 AC
Address
Land Use
TOTAL SIZE
Lot Size
Zoning
809,679 SF
37.19 AC
Address
Land Use
TOTAL SIZE
Lot Size
Zoning
777,580 SF
23.13 AC
Address
Land Use
TOTAL SIZE
Lot Size
Zoning
801,126 SF
36.03 AC
Address
Land Use
TOTAL SIZE
Lot Size
Zoning
703,479 SF
33.53 AC
Address
Land Use
TOTAL SIZE
Lot Size
Zoning
291,560 SF
7.19 AC
Address
Land Use
TOTAL SIZE
Lot Size
Zoning
593,615 SF
27.54 AC
EVCG
Address
Land Use
TOTAL SIZE
Lot Size
Zoning
542,519 SF
27.07 AC
Address
Land Use
TOTAL SIZE
Lot Size
Zoning
121,035 SF
36.62 AC
Address
Land Use
TOTAL SIZE
Lot Size
Zoning
601,335 SF
27.60 AC
Address
Land Use
TOTAL SIZE
Lot Size
Zoning
205,555 SF
6.39 AC
Address
Land Use
TOTAL SIZE
Lot Size
Zoning
714,538 SF
56.66 AC
Address
Land Use
TOTAL SIZE
Lot Size
Zoning
166,788 SF
11.74 AC
Address
Land Use
TOTAL SIZE
Lot Size
Zoning
9.50 AC
Address
Land Use
TOTAL SIZE
Lot Size
Zoning
16.03 AC
Address
Land Use
TOTAL SIZE
Lot Size
Zoning
585,064 SF
26.64 AC
EVSDCOM







