Property Record
8903 Wesley St, Greenville, TX 75402
Property Detail
8903 Wesley St
Dallas-Fort Worth-Arlington, TX
A0811 ODELL JOEL (HUNT COUNTY),TRACT 5-1, ACRES 40.479
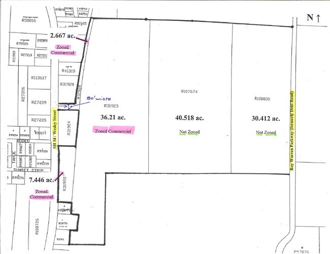
31923
HUNT
Farms
Texas
B and X Area of moderate flood hazard, usually the area between the limits of the 100-year and 500-year floods.
5-1
2024
40.48 AC
2025
Hunt County
961101
Dallas/Ft Worth
NEARBY LISTINGS FOR SALE OR LEASE
DEMOGRAPHICS near 8903 Wesley St
1 mile
3 mile
5 mile
2025 Total Population
1,480
19,606
37,567
2030 Population
1,732
22,827
43,787
Pop Growth 2025-2030
+ 17.03%
+ 16.43%
+ 16.56%
Average Age
39
39
38
2025 Total Households
565
7,877
14,157
HH Growth 2025-2030
+ 17.35%
+ 16.76%
+ 16.87%
Median Household Inc
$87,073
$73,996
$68,603
Avg Household Size
2.60
2.40
2.60
2025 Avg HH Vehicles
2.00
2.00
2.00
Median Home Value
$272,856
$258,061
$239,457
Median Year Built
2001
1986
1983
Nearby Places
Map Layers
Listings with unknown addresses are not visible on the map
- Restaurants
- Banks
- Shops
- Fitness
- Groceries
SALE & LEASE HISTORY
LISTING DATE
SALE/LEASE
Nearby Properties
Address
Land Use
TOTAL SIZE
Lot Size
Zoning
Address
Land Use
TOTAL SIZE
Lot Size
Zoning
3,000,000 SF
1,393.69 AC
Address
Land Use
TOTAL SIZE
Lot Size
Zoning
243,495 SF
18.01 AC
Address
Land Use
TOTAL SIZE
Lot Size
Zoning
311,060 SF
92.32 AC
Address
Land Use
TOTAL SIZE
Lot Size
Zoning
188,688 SF
13.47 AC
Address
Land Use
TOTAL SIZE
Lot Size
Zoning
127,357 SF
13.85 AC
Address
Land Use
TOTAL SIZE
Lot Size
Zoning
179,910 SF
53.91 AC
Address
Land Use
TOTAL SIZE
Lot Size
Zoning
181,767 SF
12.10 AC
Address
Land Use
TOTAL SIZE
Lot Size
Zoning
246,730 SF
21.80 AC
C
Address
Land Use
TOTAL SIZE
Lot Size
Zoning
343,740 SF
19.81 AC
Address
Land Use
TOTAL SIZE
Lot Size
Zoning
43,516 SF
108.86 AC
Address
Land Use
TOTAL SIZE
Lot Size
Zoning
91,672 SF
44.64 AC
Address
Land Use
TOTAL SIZE
Lot Size
Zoning
201,245 SF
28.42 AC
Address
Land Use
TOTAL SIZE
Lot Size
Zoning
155,301 SF
8.01 AC
C
Address
Land Use
TOTAL SIZE
Lot Size
Zoning
119,765 SF
5.30 AC
2F
Address
Land Use
TOTAL SIZE
Lot Size
Zoning
52,693 SF
12.86 AC
Address
Land Use
TOTAL SIZE
Lot Size
Zoning
115,908 SF
12.80 AC
Address
Land Use
TOTAL SIZE
Lot Size
Zoning
129,700 SF
12.69 AC
Address
Land Use
TOTAL SIZE
Lot Size
Zoning
92,176 SF
5.26 AC
Address
Land Use
TOTAL SIZE
Lot Size
Zoning
99,850 SF
10.62 AC
Address
Land Use
TOTAL SIZE
Lot Size
Zoning
121,332 SF
5.70 AC
MF1
Address
Land Use
TOTAL SIZE
Lot Size
Zoning
109,264 SF
5.82 AC
Address
Land Use
TOTAL SIZE
Lot Size
Zoning
72,104 SF
5.55 AC
Address
Land Use
TOTAL SIZE
Lot Size
Zoning
98,916 SF
5.34 AC
Address
Land Use
TOTAL SIZE
Lot Size
Zoning
44,000 SF
5.28 AC
Address
Land Use
TOTAL SIZE
Lot Size
Zoning
99,129 SF
4.45 AC
Address
Land Use
TOTAL SIZE
Lot Size
Zoning
114,000 SF
12.94 AC
Address
Land Use
TOTAL SIZE
Lot Size
Zoning
129,713 SF
14.29 AC
Address
Land Use
TOTAL SIZE
Lot Size
Zoning
55,680 SF
6.94 AC
C
Address
Land Use
TOTAL SIZE
Lot Size
Zoning
60,625 SF
7.81 AC
Address
Land Use
TOTAL SIZE
Lot Size
Zoning
48,000 SF
1.83 AC







