Property Record
Johnson Rd, Phelan, CA 92371
Property Detail
Johnson Rd
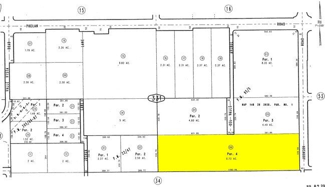
3066-331-06
PARCEL MAP 8408 PARCEL 4
Vacantlandnec
SAN BERNARDINO
PHCS
California
D Areas with possible but undetermined flood hazards.
9.73 AC
2025
Mojave River Valley
2025
Inland Empire (California)
009123
Riverside-San Bernardino-Ontario, CA
NEARBY LISTINGS FOR SALE OR LEASE
DEMOGRAPHICS near Johnson Rd
1 mile
3 mile
5 mile
2025 Total Population
1,163
7,730
16,125
2030 Population
1,136
7,514
15,579
Pop Growth 2025-2030
(2.32%)
(2.79%)
(3.39%)
Average Age
42
41
41
2025 Total Households
416
2,627
5,532
HH Growth 2025-2030
(2.40%)
(2.82%)
(3.49%)
Median Household Inc
$78,226
$83,876
$82,266
Avg Household Size
2.80
2.90
2.90
2025 Avg HH Vehicles
2.00
3.00
3.00
Median Home Value
$353,448
$373,999
$416,071
Median Year Built
1979
1986
1987
Nearby Places
Map Layers
Listings with unknown addresses are not visible on the map
- Restaurants
- Banks
- Shops
- Fitness
- Groceries
PUBLIC TRANSPORTATION
AIRPORT
Ontario International
Drive
Walk
Distance
Ontario International
52 min
38.6 mi
SALE & LEASE HISTORY
LISTING DATE
SALE/LEASE
Nearby Properties
Address
Land Use
TOTAL SIZE
Lot Size
Zoning
Address
Land Use
TOTAL SIZE
Lot Size
Zoning
74,347 SF
5.09 AC
PHCG
Address
Land Use
TOTAL SIZE
Lot Size
Zoning
17,215 SF
1.78 AC
Address
Land Use
TOTAL SIZE
Lot Size
Zoning
37,358 SF
5.64 AC
PHCG
Address
Land Use
TOTAL SIZE
Lot Size
Zoning
36,198 SF
3.24 AC
PHCG
Address
Land Use
TOTAL SIZE
Lot Size
Zoning
2,952 SF
0.96 AC
PHCG
Address
Land Use
TOTAL SIZE
Lot Size
Zoning
25,538 SF
4.61 AC
PHCG
Address
Land Use
TOTAL SIZE
Lot Size
Zoning
31,680 SF
2.41 AC
PHCG
Address
Land Use
TOTAL SIZE
Lot Size
Zoning
9,015 SF
1.86 AC
PHCG
Address
Land Use
TOTAL SIZE
Lot Size
Zoning
3,107 SF
0.80 AC
PHCG
Address
Land Use
TOTAL SIZE
Lot Size
Zoning
12,960 SF
1.16 AC
PHCG
Address
Land Use
TOTAL SIZE
Lot Size
Zoning
22,965 SF
2.92 AC
PHCS
Address
Land Use
TOTAL SIZE
Lot Size
Zoning
4,998 SF
3.01 AC
PHSDRES
Address
Land Use
TOTAL SIZE
Lot Size
Zoning
9,543 SF
1.04 AC
PHCG
Address
Land Use
TOTAL SIZE
Lot Size
Zoning
14,433 SF
2.04 AC
PHCG
Address
Land Use
TOTAL SIZE
Lot Size
Zoning
2,450 SF
0.85 AC
PHCG
Address
Land Use
TOTAL SIZE
Lot Size
Zoning
4,842 SF
1.26 AC
PHCG
Address
Land Use
TOTAL SIZE
Lot Size
Zoning
10,282 SF
5 AC
PHCG
Address
Land Use
TOTAL SIZE
Lot Size
Zoning
12,608 SF
1.76 AC
PHCG
Address
Land Use
TOTAL SIZE
Lot Size
Zoning
8,466 SF
0.90 AC
PHCG
Address
Land Use
TOTAL SIZE
Lot Size
Zoning
4,130 SF
1.04 AC
PHCG
Address
Land Use
TOTAL SIZE
Lot Size
Zoning
11,429 SF
4.52 AC
PHRS1
Address
Land Use
TOTAL SIZE
Lot Size
Zoning
1,740 SF
0.48 AC
PHCG
Address
Land Use
TOTAL SIZE
Lot Size
Zoning
1,222 SF
53.12 AC
PHRL
Address
Land Use
TOTAL SIZE
Lot Size
Zoning
5,360 SF
0.84 AC
PHCG
Address
Land Use
TOTAL SIZE
Lot Size
Zoning
3,176 SF
0.42 AC
PHCG
Address
Land Use
TOTAL SIZE
Lot Size
Zoning
8.43 AC
PHCG
Address
Land Use
TOTAL SIZE
Lot Size
Zoning
864 SF
2.50 AC
PHRL
Address
Land Use
TOTAL SIZE
Lot Size
Zoning
11,831 SF
25.27 AC
PHCS
Address
Land Use
TOTAL SIZE
Lot Size
Zoning
9.43 AC
PHCG
Address
Land Use
TOTAL SIZE
Lot Size
Zoning
5,879 SF
2.50 AC
PHRL







