Log In/Sign Up
Your email has been sent.
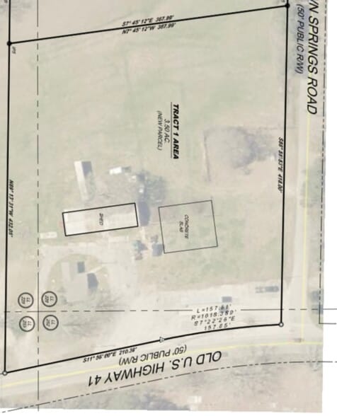
IOS - 3500 Sqft +/- shop and 3.5+/- Acres 1402 Old 41 Hwy 3,500 SF Industrial Building Milner, GA 30257 $800,000 ($228.57/SF) 1% Cap Rate



Investment Highlights
- Shop with storage yard
- Industrial outdoor Storage - Small Bay
- Shop Industrial Outdoor Storage site
Executive Summary
3.5+/- Acres Commercial Property | Milner, GA Old 41 Highway | Approved for Industrial Outdoor Storage. With Lamar County expanding through new industrial projects, the demand for versatile commercial property is rising. This site is well-suited not only for industrial users but also for contractors, plumbing, heating & air, electrical, and service-based businesses that need shop, office, and yard space in one location. Property Features: Brand-New 3,500 sq. ft. Shop (Under Construction) 3 roll-up doors in front + 1 rear roll-up door for pull-through access 2 entry doors for flexible operations 1,190 sq. ft. House - adaptable for office space or on-site housing 30' x 98' Storage Building with renovated office space under construction 3.5+/- Acres with Plenty of Road Frontage - ideal for outdoor storage, equipment staging, or fleet parking Zoned & approved for Industrial Outdoor Storage Excellent fit for industrial, construction, and service businesses. Strong growth corridor in Lamar County with increasing demand. This property offers new construction, multiple functional buildings, and expansive yard space.a turnkey opportunity for companies looking to grow and operate efficiently.
Property Facts
Amenities
- Storage Space
- Air Conditioning
1 1
Not walkable
10/100
Exceptionally drivable
100/100
Somewhat bikeable
20/100
Property Taxes
| Parcel Number | 018-030-C | Improvements Assessment | $37,577 |
| Land Assessment | $30,000 | Total Assessment | $67,577 |
Property Taxes
Parcel Number
018-030-C
Land Assessment
$30,000
Improvements Assessment
$37,577
Total Assessment
$67,577
1 of 8
Videos
Matterport 3D Exterior
Matterport 3D Tour
Photos
Street View
Street
Map
1 of 1
Presented by
IOS - 3500 Sqft +/- shop and 3.5+/- Acres | 1402 Old 41 Hwy
Already a member? Log In
Hmm, there seems to have been an error sending your message. Please try again.
Thanks! Your message was sent.
