Log In/Sign Up
Your email has been sent.
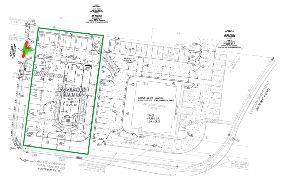
Investment Highlights
- 0.505 AC Pad Site
- Great Access / Visibility
- SUP in place for 2,000 sf drive thru
- Shadow Anchored by Home Depot and Walmart Supercenter
- High Traffic Area in the Main Retail Corridor
Property Facts
| Sale Type | Investment | Property Subtype | Commercial |
| No. Lots | 1 | Proposed Use | Retail |
| Property Type | Land | Total Lot Size | 0.40 AC |
| Sale Type | Investment |
| No. Lots | 1 |
| Property Type | Land |
| Property Subtype | Commercial |
| Proposed Use | Retail |
| Total Lot Size | 0.40 AC |
1 Lot Available
Lot
| Lot Size | 0.40 AC |
| Lot Size | 0.40 AC |
0.505 AC Pad Site - NWC of Gordon Smith Dr & Lakeview Pkwy, Rowlett, TX
Description
0.505 Acre Pad Site shadow anchored by Home Depot and Walmart Supercenter.
1 1
Fairly walkable
40/100
Exceptionally drivable
100/100
Fairly bikeable
40/100
1 of 7
Videos
Matterport 3D Exterior
Matterport 3D Tour
Photos
Street View
Street
Map
1 of 1
Presented by
2205 Lakeview Pky - Rowlett Pad Site Available
Already a member? Log In
Hmm, there seems to have been an error sending your message. Please try again.
Thanks! Your message was sent.



