Log In/Sign Up
Enter your email to login or create a free account
This feature is unavailable at the moment.
We apologize, but the feature you are trying to access is currently unavailable. We are aware of this issue and our team is working hard to resolve the matter.
Please check back in a few minutes. We apologize for the inconvenience.
- LoopNet Team
This Flex Property is no longer advertised on LoopNet.com.
27092 Burbank
Foothill Ranch, CA 92610
Bldg 18 · Flex Property For Sale

Investment Highlights
- Free standing, high image flex building. Conveniently located in one of the best areas in Foothill Ranch and close to local shops and restaurants.
- Excellent access to 241/133/405/5 freeways.
- Inviting reception area. Kitchenette on both 1st and 2nd floor.
- Newly renovated. And new roof with 29 yrs of warranty. Well maintained A/C units.
- EV charger available. Lab area. Nice outdoor sitting area.
- Good Fengshui. Extensive window line offering interior natural light and exceptional views.
Property Facts
Amenities
- 24 Hour Access
- Bio-Tech/ Lab Space
- Security System
- Air Conditioning
Property Taxes
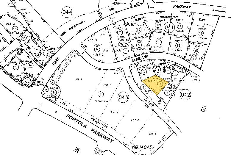
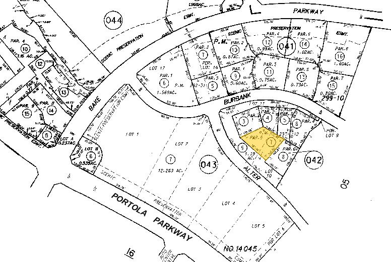
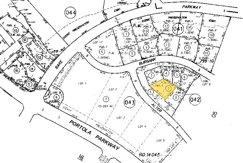
| Parcel Number | 612-042-07 | Improvements Assessment | $503,330 |
| Land Assessment | $2,689,844 | Total Assessment | $3,193,174 |
Property Taxes
Parcel Number
612-042-07
Land Assessment
$2,689,844
Improvements Assessment
$503,330
Total Assessment
$3,193,174
Listing ID: 26763598
Date on Market: 10/3/2022
Last Updated:
Address: 27092 Burbank, Foothill Ranch, CA 92610
The Flex Property at 27092 Burbank, Foothill Ranch, CA 92610 is no longer being advertised on LoopNet.com. Contact the broker for information on availability.
FLEX PROPERTIES IN NEARBY NEIGHBORHOODS
NEARBY LISTINGS
- 27156 Burbank, Foothill Ranch CA
- 19751 Descartes, Foothill Ranch CA
- 39 Musick, Irvine CA
- 15 Whatney, Irvine CA
- 26180 Enterprise Way, Lake Forest CA
- 1 Wrigley Ave, Irvine CA
- 32 Mauchly, Irvine CA
- 20742 Linear Ln, Lake Forest CA
- 26792 Vista Terrace, Lake Forest CA
- 27 Hughes, Irvine CA
- 7 Studebaker, Irvine CA
- 26244 Enterprise Ct, Lake Forest CA
- 23201 Orange Ave, Lake Forest CA
- 30372 Esperanza, Rancho Santa Margarita CA
- 26806 Vista Terrace, Lake Forest CA
1 of 1
Videos
Matterport 3D Exterior
Matterport 3D Tour
Photos
Street View
Street
Map

Link copied
Your LoopNet account has been created!
Thank you for your feedback.
Please Share Your Feedback
We welcome any feedback on how we can improve LoopNet to better serve your needs.X
{{ getErrorText(feedbackForm.starRating, "rating") }}
255 character limit ({{ remainingChars() }} charactercharacters remainingover)
{{ getErrorText(feedbackForm.msg, "rating") }}
{{ getErrorText(feedbackForm.fname, "first name") }}
{{ getErrorText(feedbackForm.lname, "last name") }}
{{ getErrorText(feedbackForm.phone, "phone number") }}
{{ getErrorText(feedbackForm.phonex, "phone extension") }}
{{ getErrorText(feedbackForm.email, "email address") }}
You can provide feedback any time using the Help button at the top of the page.