Your email has been sent.
Park Highlights
- Located west of I-5 with easy freeway access.
Park Facts
Features and Amenities
- 24 Hour Access
- Freeway Visibility
- Signalized Intersection
Display Rental Rate as
- Space
- Size
- Term
- Rental Rate
- Space Use
- Build-Out
- Available
Reception, 2 office, restroom and break area.
- Listed rate may not include certain utilities, building services and property expenses
- 1 Drive Bay
- Private Restrooms
- Includes 700 SF of dedicated office space
- Space is in Excellent Condition
- Easy Access to the 5 Freeway
Reception 2 offices restroom and warehouse.
- Listed rate may not include certain utilities, building services and property expenses
- 1 Drive Bay
- Easy Freeway Access west of I-5
- Includes 750 SF of dedicated office space
- Space is in Excellent Condition
| Space | Size | Term | Rental Rate | Space Use | Build-Out | Available |
| 1st Floor - 110 | 2,420 SF | Negotiable | $25.80 /SF/YR $2.15 /SF/MO $62,436 /YR $5,203 /MO | Industrial | Partial Build-Out | Now |
| 1st Floor - 111 | 2,420 SF | Negotiable | $25.80 /SF/YR $2.15 /SF/MO $62,436 /YR $5,203 /MO | Industrial | Partial Build-Out | Now |
5825 Avenida Encinas - 1st Floor - 110
5825 Avenida Encinas - 1st Floor - 111
- Space
- Size
- Term
- Rental Rate
- Space Use
- Build-Out
- Available
Reception, 2 office, restroom and break area.
- Listed rate may not include certain utilities, building services and property expenses
- 1 Drive Bay
- Private Restrooms
- Includes 700 SF of dedicated office space
- Space is in Excellent Condition
- Easy Access to the 5 Freeway
Reception 2 offices restroom and warehouse.
- Listed rate may not include certain utilities, building services and property expenses
- 1 Drive Bay
- Easy Freeway Access west of I-5
- Includes 750 SF of dedicated office space
- Space is in Excellent Condition
| Space | Size | Term | Rental Rate | Space Use | Build-Out | Available |
| 1st Floor - 110 | 2,420 SF | Negotiable | $25.80 /SF/YR $2.15 /SF/MO $62,436 /YR $5,203 /MO | Industrial | Partial Build-Out | Now |
| 1st Floor - 111 | 2,420 SF | Negotiable | $25.80 /SF/YR $2.15 /SF/MO $62,436 /YR $5,203 /MO | Industrial | Partial Build-Out | Now |
5825 Avenida Encinas - 1st Floor - 110
5825 Avenida Encinas - 1st Floor - 111
- Space
- Size
- Term
- Rental Rate
- Space Use
- Build-Out
- Available
100% HVAC open area, open ceiling, office or production space. 2 grade level rollup doors.
- Listed rate may not include certain utilities, building services and property expenses
- Space is in Excellent Condition
- Includes 3,000 SF of dedicated office space
- 2 Drive Ins
Reception, 1 office, restroom, clean room, gowning room, production room, warehouse
- Listed rate may not include certain utilities, building services and property expenses
- Clean Room
| Space | Size | Term | Rental Rate | Space Use | Build-Out | Available |
| 1st Floor - 128/129 | 3,192 SF | Negotiable | $27.00 /SF/YR $2.25 /SF/MO $86,184 /YR $7,182 /MO | Flex | Full Build-Out | Now |
| 1st Floor - 130 | 1,595 SF | Negotiable | $29.40 /SF/YR $2.45 /SF/MO $46,893 /YR $3,908 /MO | Flex | - | Now |
5845 Avenida Encinas - 1st Floor - 128/129
5845 Avenida Encinas - 1st Floor - 130
- Space
- Size
- Term
- Rental Rate
- Space Use
- Build-Out
- Available
Ground Floor Walk Up Entry Glass on 3 Sides West of I-5
- Listed lease rate plus proportional share of utilities
- 4 Private Offices
- Corner Space
- After Hours HVAC Available
- Common Parts WC Facilities
- Mostly Open Floor Plan Layout
- Space is in Excellent Condition
- Natural Light
- Shower Facilities
- Open-Plan
| Space | Size | Term | Rental Rate | Space Use | Build-Out | Available |
| 1st Floor, Ste 142B | 2,792 SF | Negotiable | $29.40 /SF/YR $2.45 /SF/MO $82,085 /YR $6,840 /MO | Office | Full Build-Out | Now |
5865 Avenida Encinas - 1st Floor - Ste 142B
5825 Avenida Encinas - 1st Floor - 110
| Size | 2,420 SF |
| Term | Negotiable |
| Rental Rate | $25.80 /SF/YR |
| Space Use | Industrial |
| Build-Out | Partial Build-Out |
| Available | Now |
Reception, 2 office, restroom and break area.
- Listed rate may not include certain utilities, building services and property expenses
- Includes 700 SF of dedicated office space
- 1 Drive Bay
- Space is in Excellent Condition
- Private Restrooms
- Easy Access to the 5 Freeway
5825 Avenida Encinas - 1st Floor - 111
| Size | 2,420 SF |
| Term | Negotiable |
| Rental Rate | $25.80 /SF/YR |
| Space Use | Industrial |
| Build-Out | Partial Build-Out |
| Available | Now |
Reception 2 offices restroom and warehouse.
- Listed rate may not include certain utilities, building services and property expenses
- Includes 750 SF of dedicated office space
- 1 Drive Bay
- Space is in Excellent Condition
- Easy Freeway Access west of I-5
5845 Avenida Encinas - 1st Floor - 128/129
| Size | 3,192 SF |
| Term | Negotiable |
| Rental Rate | $27.00 /SF/YR |
| Space Use | Flex |
| Build-Out | Full Build-Out |
| Available | Now |
100% HVAC open area, open ceiling, office or production space. 2 grade level rollup doors.
- Listed rate may not include certain utilities, building services and property expenses
- Includes 3,000 SF of dedicated office space
- Space is in Excellent Condition
- 2 Drive Ins
5845 Avenida Encinas - 1st Floor - 130
| Size | 1,595 SF |
| Term | Negotiable |
| Rental Rate | $29.40 /SF/YR |
| Space Use | Flex |
| Build-Out | - |
| Available | Now |
Reception, 1 office, restroom, clean room, gowning room, production room, warehouse
- Listed rate may not include certain utilities, building services and property expenses
- Clean Room
5865 Avenida Encinas - 1st Floor - Ste 142B
| Size | 2,792 SF |
| Term | Negotiable |
| Rental Rate | $29.40 /SF/YR |
| Space Use | Office |
| Build-Out | Full Build-Out |
| Available | Now |
Ground Floor Walk Up Entry Glass on 3 Sides West of I-5
- Listed lease rate plus proportional share of utilities
- Mostly Open Floor Plan Layout
- 4 Private Offices
- Space is in Excellent Condition
- Corner Space
- Natural Light
- After Hours HVAC Available
- Shower Facilities
- Common Parts WC Facilities
- Open-Plan
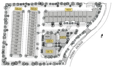
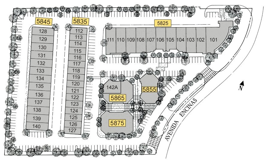
Site Plan
Park Overview
Small office and industrial suites west of I-5
Presented by
Pacific Point Business Center | Carlsbad, CA 92008
Hmm, there seems to have been an error sending your message. Please try again.
Thanks! Your message was sent.






