Property Record
1075 W Horsetooth Rd, Fort Collins, CO 80526
Property Detail
1075 W Horsetooth Rd
97352-65-001
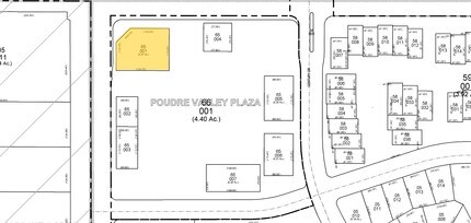
LOT 1, POUDRE VALLEY PLAZA PUD, FTC; ALSO POR TR A, POUDRE VALLEY PLAZA, BEG SW COR LOT 1, S 89 41 35 E 91.08 FT TO SE COR SD LOT, N 0 18 25 E 108 FT, S 89 41 35 E 54.74 FT, S 0 18 25 W 116.07 FT, N 89 41 35 W 145.82 FT, N 0 18 25 E 8.07 FT
Officebuilding
Larimer
NC
Colorado
B and X Area of moderate flood hazard, usually the area between the limits of the 100-year and 500-year floods.
1
2024
0.37 AC
2025
Fort Collins/Loveland
001109
Denver
19,376 SF
Fort Collins-Loveland, CO
NEARBY LISTINGS FOR SALE OR LEASE
DEMOGRAPHICS near 1075 W Horsetooth Rd
1 mile
3 mile
5 mile
2025 Total Population
16,470
103,248
176,097
2030 Population
16,867
107,043
182,076
Pop Growth 2025-2030
+ 2.41%
+ 3.68%
+ 3.40%
Average Age
37
36
37
2025 Total Households
6,741
41,781
71,146
HH Growth 2025-2030
+ 2.64%
+ 4.30%
+ 3.84%
Median Household Inc
$82,066
$73,031
$80,060
Avg Household Size
2.40
2.20
2.30
2025 Avg HH Vehicles
2.00
2.00
2.00
Median Home Value
$493,309
$590,505
$618,290
Median Year Built
1988
1987
1991
Nearby Places
Map Layers
Listings with unknown addresses are not visible on the map
- Restaurants
- Banks
- Shops
- Fitness
- Groceries
SALE & LEASE HISTORY
LISTING DATE
SALE/LEASE
Nearby Properties
Address
Land Use
TOTAL SIZE
Lot Size
Zoning
Address
Land Use
TOTAL SIZE
Lot Size
Zoning
1,096,874 SF
72 AC
CSU
Address
Land Use
TOTAL SIZE
Lot Size
Zoning
440,160 SF
29 AC
CSU
Address
Land Use
TOTAL SIZE
Lot Size
Zoning
521,085 SF
80.60 AC
CSU
Address
Land Use
TOTAL SIZE
Lot Size
Zoning
222,592 SF
21.69 AC
HC
Address
Land Use
TOTAL SIZE
Lot Size
Zoning
95,880 SF
16.69 AC
Address
Land Use
TOTAL SIZE
Lot Size
Zoning
283,141 SF
24 AC
RL
Address
Land Use
TOTAL SIZE
Lot Size
Zoning
281,945 SF
15.01 AC
NCL
Address
Land Use
TOTAL SIZE
Lot Size
Zoning
170,119 SF
12.83 AC
C
Address
Land Use
TOTAL SIZE
Lot Size
Zoning
337,566 SF
2.62 AC
Address
Land Use
TOTAL SIZE
Lot Size
Zoning
173,575 SF
28.86 AC
RL
Address
Land Use
TOTAL SIZE
Lot Size
Zoning
227,180 SF
39 AC
E
Address
Land Use
TOTAL SIZE
Lot Size
Zoning
139,965 SF
8.62 AC
CSU
Address
Land Use
TOTAL SIZE
Lot Size
Zoning
115,260 SF
9.08 AC
HC
Address
Land Use
TOTAL SIZE
Lot Size
Zoning
181,956 SF
5 AC
C
Address
Land Use
TOTAL SIZE
Lot Size
Zoning
71,244 SF
5.96 AC
C
Address
Land Use
TOTAL SIZE
Lot Size
Zoning
189,920 SF
6 AC
E
Address
Land Use
TOTAL SIZE
Lot Size
Zoning
99,997 SF
10.47 AC
NC
Address
Land Use
TOTAL SIZE
Lot Size
Zoning
263,320 SF
9.39 AC
Address
Land Use
TOTAL SIZE
Lot Size
Zoning
94,079 SF
7 AC
NC
Address
Land Use
TOTAL SIZE
Lot Size
Zoning
106,534 SF
7.55 AC
E
Address
Land Use
TOTAL SIZE
Lot Size
Zoning
363,294 SF
20.28 AC
MMN
Address
Land Use
TOTAL SIZE
Lot Size
Zoning
112,500 SF
30 AC
RL
Address
Land Use
TOTAL SIZE
Lot Size
Zoning
123,006 SF
10.27 AC
Address
Land Use
TOTAL SIZE
Lot Size
Zoning
159,256 SF
8.64 AC
C
Address
Land Use
TOTAL SIZE
Lot Size
Zoning
367,359 SF
13.36 AC
Address
Land Use
TOTAL SIZE
Lot Size
Zoning
389,012 SF
16.99 AC
MMN
Address
Land Use
TOTAL SIZE
Lot Size
Zoning
95,815 SF
7.46 AC
C
Address
Land Use
TOTAL SIZE
Lot Size
Zoning
93,138 SF
14.45 AC
MMN








