Property Record
7347 Haskell Ave, Van Nuys, CA 91406
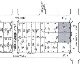
Property Detail
7347 Haskell Ave
2206-030-004
TRACT NO 9419 W 137 FT OF E 140 FT OF LOT 15 AND W 137 FT OF E 140 FT MEASURED ON S LINE OF LOT 16
Multifamilydwelling
Los Angeles
LAR3
California
B and X Area of moderate flood hazard, usually the area between the limits of the 100-year and 500-year floods.
15
2024
0.56 AC
2025
Van Nuys
127400
Los Angeles
23,486 SF
Los Angeles-Long Beach-Glendale, CA
NEARBY LISTINGS FOR SALE OR LEASE
DEMOGRAPHICS near 7347 Haskell Ave
1 mile
3 mile
5 mile
2025 Total Population
34,424
307,170
744,044
2030 Population
34,682
307,590
741,894
Pop Growth 2025-2030
+ 0.75%
+ 0.14%
(0.29%)
Average Age
38
39
40
2025 Total Households
11,984
98,352
247,985
HH Growth 2025-2030
+ 0.62%
(0.09%)
(0.47%)
Median Household Inc
$65,478
$70,674
$81,662
Avg Household Size
2.80
3.00
2.90
2025 Avg HH Vehicles
2.00
2.00
2.00
Median Home Value
$718,734
$771,883
$817,618
Median Year Built
1975
1970
1968
Nearby Places
Map Layers
Listings with unknown addresses are not visible on the map
- Restaurants
- Banks
- Shops
- Fitness
- Groceries
PUBLIC TRANSPORTATION
COMMUTER RAIL
Van Nuys (Ventura County Line - Southern California Regional Rail Authority (Metrolink))
Drive
Walk
Distance
Van Nuys (Ventura County Line - Southern California Regional Rail Authority (Metrolink))
5 min
2.3 mi
Northridge (Ventura County Line - Southern California Regional Rail Authority (Metrolink))
Drive
Walk
Distance
Northridge (Ventura County Line - Southern California Regional Rail Authority (Metrolink))
11 min
5.8 mi
AIRPORT
Bob Hope
Drive
Walk
Distance
Bob Hope
14 min
6.9 mi
Los Angeles International
Drive
Walk
Distance
Los Angeles International
28 min
20.9 mi
Freight Ports
Port of Long Beach
Drive
Walk
Distance
Port of Long Beach
49 min
40.2 mi
Nearby Properties
Address
Land Use
TOTAL SIZE
Lot Size
Zoning
Address
Land Use
TOTAL SIZE
Lot Size
Zoning
393,032 SF
70.93 AC
LAM2
Address
Land Use
TOTAL SIZE
Lot Size
Zoning
838,226 SF
11.23 AC
LARA
Address
Land Use
TOTAL SIZE
Lot Size
Zoning
580,686 SF
8.46 AC
LAR1
Address
Land Use
TOTAL SIZE
Lot Size
Zoning
439,930 SF
22.16 AC
LAM2
Address
Land Use
TOTAL SIZE
Lot Size
Zoning
72,420 SF
17.08 AC
LAP
Address
Land Use
TOTAL SIZE
Lot Size
Zoning
333,677 SF
3.89 AC
LARAS3
Address
Land Use
TOTAL SIZE
Lot Size
Zoning
204,387 SF
8.46 AC
LAM2
Address
Land Use
TOTAL SIZE
Lot Size
Zoning
396,109 SF
3.45 AC
LAM1
Address
Land Use
TOTAL SIZE
Lot Size
Zoning
768,483 SF
6.87 AC
LAC1
Address
Land Use
TOTAL SIZE
Lot Size
Zoning
149,385 SF
1.29 AC
LAR3
Address
Land Use
TOTAL SIZE
Lot Size
Zoning
209,559 SF
4.55 AC
LARD2
Address
Land Use
TOTAL SIZE
Lot Size
Zoning
168,271 SF
1.23 AC
LAR4
Address
Land Use
TOTAL SIZE
Lot Size
Zoning
92,730 SF
5.13 AC
LAC2
Address
Land Use
TOTAL SIZE
Lot Size
Zoning
290,244 SF
5.77 AC
LAR3
Address
Land Use
TOTAL SIZE
Lot Size
Zoning
370,138 SF
9.84 AC
LAM2
Address
Land Use
TOTAL SIZE
Lot Size
Zoning
116,961 SF
3.60 AC
LAR3
Address
Land Use
TOTAL SIZE
Lot Size
Zoning
117,604 SF
2.65 AC
LAR3
Address
Land Use
TOTAL SIZE
Lot Size
Zoning
290,254 SF
11.53 AC
LAM2
Address
Land Use
TOTAL SIZE
Lot Size
Zoning
408,735 SF
LAC2
Address
Land Use
TOTAL SIZE
Lot Size
Zoning
160,858 SF
2.40 AC
LAR3
Address
Land Use
TOTAL SIZE
Lot Size
Zoning
138,260 SF
1.29 AC
LAC2
Address
Land Use
TOTAL SIZE
Lot Size
Zoning
124,534 SF
7.47 AC
LAC2
Address
Land Use
TOTAL SIZE
Lot Size
Zoning
98,782 SF
0.66 AC
LAC2
Address
Land Use
TOTAL SIZE
Lot Size
Zoning
428,845 SF
4.15 AC
LACM
Address
Land Use
TOTAL SIZE
Lot Size
Zoning
211,654 SF
2.20 AC
LAM1
Address
Land Use
TOTAL SIZE
Lot Size
Zoning
180,277 SF
4.13 AC
LAM1, LAC2
Address
Land Use
TOTAL SIZE
Lot Size
Zoning
155,748 SF
1.33 AC
LAR3
Address
Land Use
TOTAL SIZE
Lot Size
Zoning
143,203 SF
1.52 AC
LAR4
Address
Land Use
TOTAL SIZE
Lot Size
Zoning
155,788 SF
4.58 AC
LAR1








