- Price Upon Request
- 1 Lot
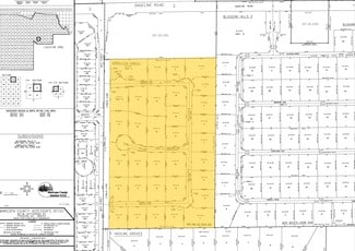
- Multifamily assemblage development opportunity for the Valle View at the Point offering six parcels zoned R-5, yielding 240 units in an urban-infill locale.
WELCOME
You have been searching for {{saveSearchForm.categorySearchLabel}}. Login to save your search and get additional properties emailed to you.
You may only select up to 100 properties at a time. Select a smaller number of properties and re-run the report.